Фитофтора картошки: эффективные способы борьбы с фитофторой на картофеле
Фитофтороз картофеля | справочник Пестициды.ru
Симптомы заболевания
Симптомы фитофтороза картофеля проявляются во второй половине вегетации, примерно в конце бутонизации – начале цветения, обычно на долях листьев нижнего яруса куста, позднее на листьях среднего и верхнего ярусов. Признаки заболевания обнаруживаются на черешках листьев, стеблях, клубнях[3].
На листьях – бурые расплывчатые пятна со светло-зеленой каймой. При влажной и теплой погоде пятна быстро разрастаются, покрывая всю листовую пластинку. Литья загнивают, приобретают коричневый или темно-коричневый цвет и свисают на стеблях. В сырую погоду, обычно с нижней стороны листа, наблюдается образование нежного паутинистого налета белого цвета на границе здоровой и пораженной ткани. При благоприятных условиях для развития фитопатогена листья полностью сгнивают в течение нескольких дней. Стебли коричневеют и гниют, издавая характерный запах плесени. При сухой погоде, пораженные доли листьев скручиваются, высыхают, крошатся и опадают[3].
На стеблях и черешках листьев – продольные бурые загнивающие пятна или штрихи. В местах поражения образуются перетяжки, что приводит к изломам черешков, листьев и стеблей[3].
На цветоложах, бутонах и ягодах – пятна имеют ту же форму, но формируются редко[3].
На клубнях – немного вдавленные бурые, светло-коричневые или свинцово-серые пятна. Цвет варьирует в зависимости от окраски клубня. При разрезе места поражения обнаруживается распространение бурой или ржаво-коричневой ткани вглубь сердцевины в форме подтеков и лент. На свежеубранных клубнях заболевание легко диагностируется. После зимнего хранения определение фитофтороза картофеля затруднено, поскольку пораженная ткань заселяется различными грибами и бактериями, усиливающими патологический процесс[3].
Морфология
Возбудитель болезни – Phytophthora infestans. Относится к царству Хромиста (Chromista), тип Оомикота (Oomycota), класс Оомицеты (Oomycetes), порядок Пероноспоровые (Peronosporales), семейство Питиевые (Pythiaceae)[2].
В литературе есть несколько отличная классификация фитопатогена, относящая его царству Хромиста (Chromista), типу Оомикота (Oomycota), классу Incertae sedis (неопределенное положение), подклассу Оомицеты (Oomycetes), порядок Питиевые (Pythiales), семейство Питиевые (Pythiaceae)[6].
Как и прочие оомицеты, фитопатоген отличается от грибов тем, что его клеточные стенки состоят из целлюлозоподобной субстанции с незначительным содержанием хитина. В целом Phytophthora infestans более близок к золотисто-коричневым водорослям, чем к грибам и животным[6].
Грибница – несептированная, многоядерная с бесцветными ветвистыми гифами. Толщина гиф варьирует от 3,4 до 12 мкм, в зависимости от расположения. Внутри клеток гифы приобретают древовидную форму[3].
Гаустории – нитевидные в полости клеток листьев, стеблей и молодых проростков. В паренхиме клеток клубней картофеля – булавовидные, крючковидные, разветвленные, в форме разросшихся пристенных лопастей[3].
Зооспорангиеносцы – разветвлены симподиально, не ограничены в росте, имеют по 1–4 основные ветки и несколько боковых с утолщениями в местах образования[3].
Зооспорангии – бесцветные одноклеточные, лимоновидной формы, размер 25–33х15–20 мкм, с 4–16 зооспорами[3].
Зооспоры – почковидные с желобком, расположенным параллельно главной оси. От желобка отходит пара жгутиков – передний кнутовидный и задний хлеситательный. Размер зооспор 7,5–12 х 4,5–6 мкм[3].
Ооспоры – коричневые, сферической формы. Размер – 30 мкм. Образуются после слияния антеридия и оогония, на отдельных колониях мицелия[3].
Возбудители болезни , вызывающие
Фитофтороз картофеля
Биология
Бесполое размножение
Зооспорангиеносцы с зооспорангиями – бесполое спороношение фитопатогена. Его образование в значительной степени зависит от условий окружающей среды[3].
В климатических условиях России фитопатоген в основном зимует на заложенных на хранение слабо пораженных клубнях картофеля. После высадки на их поверхности образуются зооспорангии, заражающие подземные части стеблей. Либо, в результате выноса зооспорангий по капиллярам на поверхность почвы, соприкасающиеся с почвой листья куста нижнего яруса. Благоприятные условия для подобного выноса создаются в почвах тяжелого механического состава. В этом случае источником первичной инфекции являются, как слабо, так и сильно пораженные клубни[6].
Как правило, на всходах картофеля фитофтороз сильно не развивается. Это объясняется вымиранием части ростков до выхода на поверхность и отсутствием условий для развития фитопатогена, поскольку всходы хорошо обдуваются ветром и влага на них не задерживается надолго[3].
В отдельные годы фитофтороз на ботве не развивается. Однако при уборке и в период зимнего хранения обнаруживается его сильное проявление на клубнях.
Причина этого явления отсутствие низкой влажности на поверхности почвы с одновременным созданием благоприятных условий для развития фитопатогена внутри ее. В результате на поверхности зараженных клубней появляется обильное спороношение, формирующее густую грибницу, пронизывающую почву и поражающую молодые клубни[3].
Зооспорангиеносцы с зооспорангиями образуются из отдельных гиф фитопатогена, выходящих из устьиц на поверхность пораженной ткани листьев, стеблей, черешков, клубней. При их помощи фитопатоген распространяется во время вегетации. Прорастают зооспорангии только в присутствии капельножидкой влаги. Из зооспорангий образуются зооспоры или мицелярный отросток. Из-за этого зооспорангиеносцы часто называют конидиеносцами, а зооспорангии – конидиями[3].
Способ прорастания зависит от возраста зооспорангиев и температуры окружающей среды. Молодые, в возрасте 2–3 дня прорастают зооспорами, более взрослые – с образованием ростковых гиф. В возрасте 9 дней и более – только ростковыми гифами.
В зооспорангии формируется от 4 до 16 зооспор. Последние, при помощи жгутиков, передвигаются в воде, достигнув хозяина инцистируются и прорастают одной или двумя инфекционными гифами. В листья картофеля гифы проникают обычно с нижней стороны. Верхняя часть листовой пластинки может заражаться только по краям долей, в условиях лучшей влажности[3].
Половое размножение
Ооспоры – результат полового размножения возбудителя фитофтороза. Они способны перезимовывать и являются ещё одним источником заражения растений[6].
Phytophthora infestans – гетероталличный вид, имеет амфигинные антеридии и два типа спаривания. Половое размножение наблюдается при встрече мицелия двух противоположных типов. При этом формируются женский и мужской половые органы (оогоний и антеридий). Каждый тип спаривания способен образовывать оба половых органа. Встречаются генотипы, выполняющие только женскую или мужскую роль. Мейоз проходит внутри половых органов и после их слияния имеет место оплодотворение, в результате которого и образуются ооспоры[6].
Ооспоры образуются внутри растительных тканей. Способность к прорастанию приобретается только при полном сгнивании окружающей их ткани. При длительном увлажнении почвы ооспоры могут непосредственно инфицировать подземные части растений или образовывать зооспорангии с зооспорами, которые как и при бесполом размножении по капиллярам выносятся на поверхность почвы[6].
Отличительных признаков очагов фитофтороза возникших при заражения ооспорами от очагов бесполого размножения (семенной инфекции) неустановленно. Ооспоры сохраняют жизнеспособность в песчаной почве до 4, в глинистой – до 3-х лет[6].
Впервые образование ооспор на картофеле обнаружено в 1957 году в Центральной Мексике. До этого популяция фитопатогена вне указанного региона размножалась только бесполым способом. Штаммы второго типа спаривания были обнаружены в Швейцарии, а затем в Великобритании. Первая публикация об обнаружении на картофеле второго типа спаривания в России относится к 1989 г.
[6].
Условия развития
Зооспорангиеносци с зооспорангими образуются при температуре от +7°C до +25°C, длительном увлажнении поверхности листовой пластинки и относительной влажности воздуха не ниже 76% в течение не менее 4 часов. Налет чаще всего появляется на рассвете и достигает полного развития за 2–3 часа. Температура в пределах +35°C–+49°C при кратковременном действии стимулирует прорастание зооспорангиев, при длительном – действует губительно[3].
Оптимальная температура прорастания зооспорангиев и образования зооспор +10°C–+15°C, минимальная +6°C, максимальная +20°C. Более высокие температурные значения подавляют образование зооспор. Оптимальное количество зооспорангиев, прорастающих проростковыми гифами наблюдается при +25°C, минимальное – при +4°C, максимальное – при +30°C[3].
Как указывалось выше, растения заражаются только при наличии на поверхности листьев капельной влаги. В зависимости от температуры этот срок колеблется: при +10°C составляет 3 часа, при +15°C – 2 часа, при +20°C–+25°C – 1,5 часа[3].
Длительность инкубационного периода зависит только от температуры и составляет от 3 до 16 дней. Минимальная температура развития фитопатогена в растении +1,3°C, максимальная +30°C[3].
Способность ооспор инфицировать растения зависит от температуры, влажности и микробиологической активности почвы. В северных широтах этот процесс протекает медленнее, чем в южных[6].
Источники заражения
Клубни заражаются от зооспорангиев, попадающих при обильных дождях с листьев в почву либо во время уборки при соприкосновении с поверхностным слоем почвы или зараженной ботвой[3].
Во время хранения заболевание не передается. Однако места фитофторозных поражений заселяются микроорганизмами, вызывающими гниение клубней в период хранения[3].
Отмечаются случаи заражения картофеля после высадки в открытый грунт, инфицированный в теплицах рассадой томатов. В этом случае первичным источником служат загрязненные ооспорами семена томата[6].
Источниками инфекции служат сорняки из семейства пасленовых. Особенно Паслен черный (Solanum nigrum), как один из массовых сорняков посадок картофеля в России[6].
Вредоносность
Фитофтороз картофеля – болезнь растения поражает не только картофель, но и томаты, перец, баклажаны. В результате заболевания уменьшается ассимиляционная поверхность листьев, снижается накопление питательных веществ в клубнях. Больные растения снижают образования клубней или формируют их недоразвитыми. Недобор урожая может составлять 70% и более[3].
Зараженные в разной степени клубни являются хорошей средой для вторичной бактериальной и грибной инфекции, приводящей к гниению во время зимнего хранения[3].
Фитофтороз картофеля – болезни растений
| Возбудитель | Phytophthora infestans |
| Систематическое положение | Класс Оомицеты |
| Культуры | Картофель |
Симптомы:
Поражаются листья, стебли, клубни.
Первые признаки заболевания в поле наблюдаются на ростках картофеля. На листьях, начиная с нижних, а также на отдельных участках стебля появляются быстро увеличивающиеся темно-бурые пятна. Листья чернеют и засыхают. В сырую погоду или при утренней росе на границе пятен со здоровой зеленой тканью на нижней стороне листа образуется беловатый паутинистый налет, состоящий из зооспорангиеносцев и зооспорангиев возбудителя. На клубнях обозначаются резко очерченные сероватые, а затем бурые вдавленные твердые пятна различного размера. На разрезе клубня, под пятном, видна ржавого цвета мякоть, распространяющаяся внутрь клубня в виде язычков или клиньев. При сильном поражении ботвы урожайность снижается на 70 % и более.
Биология возбудителя:
Вегетативное тело гриба не септировано, не имеет перегородок, распространяется в межклетниках пораженных тканей. В период вегетации растений зооспорангии прорастают в каплях влаги, образуя зооспоры, или инфекционный росток, который внедряется в ткани растений.
Инкубационный период в зависимости от температуры продолжается 3-16 дней. Клубни заражаются либо при обильных дождях, когда инфекция с листьев попадает в почву, либо во время уборки, когда клубни контактируют с поверхностным слоем почвы и с пораженной ботвой. Возбудитель проникает через глазки, чечевички и механические повреждения клубней. Повышенная температура в хранилище способствует быстрому развитию гнили; на пораженных клубнях могут поселиться грибы рода Fusarium.
Источники инфекции:
Клубни.
Благоприятные условия для развития патогена:
Высокая влажность. Развитие возбудителя происходит в широком диапазоне температур: 1,3-30 °С.
Меры борьбы:
Выбор устойчивых сортов.
Предпосадочное проращивание клубней.
Хорошо дренированная почва, в которой не застаивается влага.
Применение фунгицидов.
Десикация ботвы.
Фитофтора картофеля
Фитофтора на картофеле — методы борьбы
Фитофтора – напасть, которая может значительно снизить урожайность овощей и даже погубить весь урожай картофеля.
Признаки фитофторы на картофеле заметны невооруженным глазом: вначале бурые пятна поражают нижние листья растения, постепенно переходя на верхние листочки, стебли и клубни. Поверхность картофеля становится свинцово-серой, мягковатой и склизкой на ощупь, а мякоть приобретает ржавый оттенок. Усугубляющим развитие болезни фактором является влажная, довольно теплая погода. Борьба с фитофторой картофеля включает целый ряд мер.
Методы борьбы с фитофторой на картофеле
Отбраковка больных клубней
Так как основной источник заражения – больные клубни, для защиты картофеля от фитофторы необходимо тщательно отбраковать пораженный грибком посадочный материал. Важно при этом не просто сложить поврежденные картофелины на территории дачи или выбросить за забор, обязательно надо отбракованные клубни поглубже закопать в землю или сжечь, в противном случае споры ветром разнесутся на расстояние до 5 километров.
Правильное распределение сортов картофеля и овощных культур
Нежелательно сажать позднеспелые сорта совместно с ране- и среднеспелыми, которые поражаются фитофторозом раньше.
Если есть возможность, то посадки картофеля лучше каждый год переносить на новое место. Нельзя по соседству высаживать томаты, которые тоже подвержены фитофторозу.
Химическая обработка картофеля
С целью лечения картофеля от фитофтороза применяют химические препараты. Решая вопрос, чем обработать картофель от фитофторы, обязательно учитывают процесс вегетации культуры. В начале посадки картофеля обрабатывают дважды в фазе смыкания ботвы, выдерживая интервал 1,5 недели. В это время используются фунгицидные препараты от фитофторы на картофеле: Арцедил (50 г на 10 л воды), Ридомил МЦ (25 г на 10 л) и Осксихом (20 г на 10 л). После цветения обработка производится препаратами контактного действия: Дитамин М-45 (20 г на 10 л воды), хлорокись меди (40 г на 10 л), Купроксат (25 г на 10 л). Количество обработок составляет 3-4 за сезон, интервал между обработками – 1 неделя.
Культивирование устойчивых к фитофторозу сортов картофеля
Выбор сортов картофеля, устойчивых к фитофторозу, — самый лучший и эффективный способ.
В зонах, где распространена данная болезнь картофеля, следует сажать сорта, которые менее всего подвергаются ее проявлениям: Невский, Весна, Арина, Голубизна, Сентябрь, Мавка, Огонек и другие.
Соблюдение правил уборки картофеля
Для предотвращения такой неприятной болезни картофеля, как фитофтороз, важно правильно заготовить посадочный материал на будущую весну. Для этого после уборки урожая клубни подлежат сушке. Если погода сухая, то сушат картофель прямо на участке, если дождливая – сушку осуществляют под навесом. После того, как клубни подсохнут, делают вторичную переборку картофеля, и только тогда урожай закладывают на долгосрочное хранение. Ликвидировать надо даже те клубни, которые слегка поражены, потому что через 1,5 месяца после посадки, грибок все равно проявится, и будут заражены здоровые
ростки.
Обработка семенного материала перед посадкой
Садоводы наслышаны о том, что для повышения устойчивости картофеля посадочные клубни обрабатываются препаратами.
Но далеко не все знают, чем опрыскать семенной картофель от фитофторы. Агротехники советуют проводить обработку за 1-2 дня до посадки Агатом-25К (3 г на 250 мл воды) или Иммуноцитофитом (0,4 г на 150 мл). Такого количества раствора хватает на обработку 20 кг картофеля.
Благодаря комплексу превентивных мер вы сможете собрать обильный урожай вкусной овощной культуры!
womanadvice.ru
Как лечить картофель, болезни, диагностика и лечение
Фитофтороз картофеля, средства защиты
Рис. 1 Фитофтороз картофеля: |
Фитофтороз картофеля поражает листья, стебли, цветоносы и клубни. Развитию болезни способствует влажная и умеренно теплая погода.
На листьях образуются бурые разрастающиеся пятна, с нижней стороны которых в условиях высокой влажности (особенно в утренние часы) наблюдается паутинообразный белый налет — это споры гриба.
На черешках листьев, стеблях и цветоносах болезнь проявляется в виде бурых продолговатых пятен, они становятся ломкими. В сухую погоду пораженная ботва буреет и засыхает, во влажную — чернеет и загнивает. На поверхности клубней образуются слегка вдавленные свинцово-серые пятна. Мякоть под ними приобретает ржаво-бурый цвет.
Первичными источниками инфекции являются больные посадочные клубни и оставшиеся в почве растительные остатки. От фитофтороза урожай может снизиться на 10-20%, а в годы раннего и интенсивного развития болезни (дождливая и умеренно теплая погода во второй половине лета) — на 50% и более.
Как бороться с фитофторой картофеля
Для профилактики растения опрыскивают фунгицидами во время появления бутонов, а заболевшие — при появлении первых признаков фитофтороза.
Тогда действие препаратов будет более эффективным. Сначала обрабатывают одним из системно-контактных фунгицидов, используя на ведро воды (10 л) 50 г курзата Р, или 20 г оксихома, или 25 г ридомила МЦ.
Если нужны повторные обработки, то их можно проводить через 7-10 дней. Для этого применяют один из контактных фунгицидов. На ведро воды берут 50 г агиба-пика, или 40-60 г картоцида, или 40 г оксихлорида меди.
Последнее опрыскивание проводят за 20 дней до сбора урожая.
Также посадки можно обработать раствором биофунгицида агат-25К, используя на ведро воды 25 г.
Первое опрыскивание проводят при смыкании ботвы, последующие — через 10-12 дней.
Полезный совет. Чтобы предупредить заболевание фитофторозом, ботву можно опрыснуть чесноком с марганцовкой. Для этого в ведро воды кладут 1,5 стакана мезги чеснока, настаивают сутки, затем процеживают и добавляют 1,5 г марганцовки. Обрабатывают растения в вечерние часы так, чтобы капли не стекали с листьев и стеблей. Первый раз опрыскивают через 2 недели после высадки и второй раз через 10 дней.
Что такое альтернариоз на картофеле
Альтернариоз поражает листья, их черешки, стебли и клубни картофеля.
На листьях образуются сухие темно-коричневые округлые или угловатые пятна, потом они сливаются вместе, и лист отмирает.
На стеблях и черешках заболевание проявляется в виде продолговатых серовато-коричневых язв. Впоследствии поврежденные ткани становятся коричневыми, загнивают или высыхают. На поверхности клубней появляется несколько вдавленных в ткань мелких (1-1,5 см) черно-бурых пятен.
Развитие болезни происходит особенно стремительно при жаркой погоде. Возбудитель сохраняется на не убранной осенью ботве, на оставшихся в почве клубнях, а также на хранящихся для весенней посадки.
Средства защиты от альтернариоза. При появлении первых признаков заболевания растения надо сразу же опрыснуть одним из контактных фунгицидов, рекомендованных против фитофтороза. Повторные обработки проводят через 7-10 дней.
Что такое ризоктониоз на картофеле
Ризоктониоз поражает стебли, корни, клубни, но особенно ростки при проращивании картофеля и во время появления всходов.
На ростках верхняя часть темнеет и загнивает. На них появляются мокнущие коричневые язвы, впоследствии развивается общее гниение тканей.
На подземной части стеблей появляются удлиненные темно-бурые язвы, стебель в этом месте утолщается.
При высокой влажности подземные и надземные (на высоте 5-10 см от поверхности почвы) части стеблей обволакиваются грязно-белым войлочным налетом, из-за чего это заболевание еще называют белая ножка. Часто стебель загнивает и в почве.
Верхние листья покрываются фиолетовыми пятнами, остальные желтеют или остаются зеленоватыми. Затем они скручиваются, растение засыхает и отмирает. На клубнях заболевание проявляется в виде темных образований различной формы и размера.
Наибольший вред эта болезнь наносит, если во время ее появления стоит холодная и дождливая погода. Источником инфекции являются клубни, растительные остатки и зараженная почва.
Защита от ризоктониоза на картофеле
Проращивание клубней на свету и опрыскивание их перед посадкой раствором биофунгицида агат-25К.
В 1 л воды разводят 14 г препарата, этого количества достаточно для обработки 100 кг клубней.
Для снижения возможности заболевания эффективно опрыскивание регулятором роста циркон (0,3 мл на ведро воды) при полном появлении всходов и повторное в начале бутонизации.
При первых признаках болезни обработка раствором фунгицида купросат (25-50 г на ведро воды). Повторное опрыскивание можно провести через 10 дней, но не позже чем за 20 дней до сбора урожая.
Парша на картофеле средства защиты
Парша обыкновенная. На клубнях картофеля парша проявляется в виде струпьев и язв, что снижает их товарные и семенные качества. Заражаются клубни размером до 3 см с неокрепшей кожурой.
Распространению болезни способствует засушливая погода, особенно в период формирования молодых клубней, а также внесение под картофель свежего навоза и высоких доз извести. Источником инфекции являются почвенные микро-организмы, которые сохраняются там несколько лет, зараженные клубни.
Что применить от парши на картофеле
Полив картофеля при засухе, особенно во время формирования клубней. При предпосадочной подготовке почвы внесение только перепревшего навоза.
Известкование проводить только осенью. Во время проращивания желательно опрыскивать клубни борной кислотой и медным купоросом (1 ст. ложка на ведро воды). Также полезно профилактическое опрыскивание ботвы регулятором роста циркон (0,3 мл на ведро воды) при полном появлении всходов и повторное в начале бутонизации.
Что такое черная ножка на картофеле
Черная ножка — эта бактериальная болезнь. Она начинает проявляться вскоре после появления всходов. Листья таких растений желтеют, сворачиваются в трубку вдоль главной жилки, часто засыхают. Основание стебля и корневая система загнивают, окрашиваются в черный цвет или остаются зелеными. Растение легко извлекается из почвы.
Клубни заражаются от больной ботвы. Их мякоть в месте поражения превращается в мягкую слизистую массу темного цвета с неприятным запахом. Клубни становятся легкими, кожура их темнеет и делается тусклой.
При недостаточном увлажнении почвы и теплой погоде развитие болезни иногда приостанавливается, и клубни не имеют внешних признаков поражения. Однако инфекция в них остается и может проявиться во время хранения или на следующий год. Также она остается в не убранных с грядок растительных остатках.
Средства защиты от черной ножки
Перед осенней закладкой на хранение опрыскивание предназначенных для весенней посадки клубней раствором фунгицида максим (0,2 л на ведро воды) и последующей просушкой.
Заболевшие растения надо удалить, а лунку припудрить смесью из золы (1 стакан) и медного купороса (1 чайная ложка). До бутонизации ботву можно обработать медным купоросом (1 ст. ложка на ведро воды) с добавлением 40 г хозяйственного мыла. Также помогает припудривание почвы около растений и их стеблей толченым древесным углем, мелом или золой.
Гнили клубней картофеля
Возбудителями гнилей клубней картофел я являются различные виды бактерий. Ткани клубней размягчаются и превращаются в слизистую массу с неприятным запахом. Развитие гнилей часто является последствием поражения картофеля болезнями во время созревания, переохлаждения и механических повреждений при уборке, резких колебаний температуры и влажности воздуха при хранении.
Средства защиты от гнилей клубней картофеля
Перед закладкой картофеля на хранение опрыскивание клубней раствором фунгицида максим (0,2 л на ведро воды) с последующей просушкой. Удаление всех больных клубней. Поддержание в месте хранения картофеля температуры 2-3 градуса и влажности воздуха 85%.
Что такое картофельная нематода
Картофельная нематода очень часто появляется на участках, где картофель подолгу выращивают на одном месте. Пораженные растения плохо развиваются, их листья желтеют, сморщиваются и усыхают, начиная с нижних.
Корневая система приобретает мочковатый («бородатый») вид, на них появляются шаровидные белые, желтые или коричневые образования диаметром около 1 мм (самки и цисты нематоды).
Клубни образуются мелкие. Яйца и личинки сохраняются в почве более 10 лет. Распространяется нематода с клубнями, почвой, инвентарем, тарой, а также водой и ветром.
Средства защиты от картофельной нематоды
Выращивание сортов, устойчивых к нематоде. Через 2 года нужно менять место посадки картофеля. Если на участке появилась нематода, то об этом необходимо сразу же сообщить специалисту ближайшей карантинной инспекции. В одиночку с этим заболеванием вам не справиться.
вверх страницы
Как бороться с фитофторой картофеля
Как приятно, приезжая на свою любимую дачу, видеть все посаженные растения в «добром здравии» — они хорошо растут и развиваются, у них не наблюдается нехватки в освещении и питании, и в конце сезона вы рассчитываете получить со своего огорода неплохой урожай овощей, в том числе и вкусной, рассыпчатой картошки. Но к сожалению, у растений случаются различные заболевания, мешающие их росту, развитию и плодоношению. Одно из них – фитофтороз картофеля – чуть ли не самое распространенное и опасное грибковое поражение этой культуры. Возбудитель фитофтороза картофеля — оомицеты (мицелиальные организмы) Phytophthora infestans, родаPhytophthora.
Как же распознать это заболевание на его самых ранних стадиях?
На некоторых нижних листьях по их краям появляются темно-бурые пятна, которые имеют границы с еще здоровой частью листа в виде участков более светлого цвета. На нижней стороне листьев в этом месте хорошо заметен мохнатый белый налет – споры гриба. Особенность заболевания в том, что растения поражаются не все одновременно, поэтому некоторые начинающие огородники не выявляют фитофтороз картофеля на начальном этапе, когда можно еще спасти основную часть посадок. Но споры быстро распространяются – ветром на окружающие растения, дождем – в почву, на молодые растущие клубни. За несколько дней посадки картофеля могут быть полностью поражены – листья буреют, скручиваются, засыхают, остаются только темные торчащие стебли. Пораженные клубни покрываются темно-бурыми твердыми пятнами, гниль распространяется вглубь клубней, заражаются соседние клубни.
Защита картофеля от фитофтороза
Особенно велик риск появления этого заболевания при влажной погоде (влажность воздуха более 75% на протяжении двух и более дней, выпадение росы, туманы), а также при значительных перепадах дневной и ночной температур – при таких погодных условиях уже должны приниматься профилактические меры против фитофтороза. В качестве укрепления защитных сил растений нужны своевременные подкормки комплексными удобрениями, а также «зелеными» удобрениями (настой крапивы, отвар хвоща).
Окучивание является не только одним из способов ухода, но так же и превентивной мерой защиты от фитофторы. Особенно, когда посадки в рядах скоро начнут смыкаться – нужно провести высокое окучивание. Это поможет предотвратить заражение растений, так как начинается заболевание с краев листовых пластин, густо соприкасающихся друг с другом – в сочетании с избыточной влажностью создается благоприятный микроклимат для развития грибковых поражений.
Опрыскивание до цветения слабым раствором медного купороса (на 10 литров воды – 2 грамма сухого вещества), а так же каким-либо системным фунгицидом (арцерид, оксихом, ридомил МЦ) по инструкции на упаковке. В качестве профилактических мер достаточно будет одной обработки, но если уже выявлены признаки болезни, то повторяют 3-4 раза за сезон.
Борьба с фитофторозом картофеля
Поврежденные листья нужно обрывать и уничтожать (сжигать). Раз в 7-10 дней опрыскивать химическими препаратами — дитан М-45, купроксат, хлорокись меди – по инструкции, чередуя эти препараты, применяя каждый из них не более 2-х раз.
Лучшее средство профилактики этого заболевания – посадка здорового материала. Клубни нужно тщательно отбраковывать уже в момент сбора урожая, поврежденные не выбрасывать, а сжигать. Собранный урожай хорошо просушивать и еще раз перебирать перед закладкой на хранение. А весной, непосредственно перед высадкой, обрабатывать семена препаратами, повышающими «иммунитет» к фитофторозу (например, иммуноцитофит, агат-25к и др.)
Важно правильно выбирать места для посадки – солнечные, хорошо проветриваемые плантации, которые менять каждые 1-2 года. Располагать грядки с ранним картофелем на достаточном расстоянии от поздних сортов и других пасленовых культур, чтобы избежать заражения друг от друга.
Картофель, устойчивый к фитофторозу
sadovodclub.ru
Чем обработать картофель от фитофторы?
natla
Перед посадкой клубни картофеля от фитофторы можно обработать препаратом «Фитоспорин М«. Просто перед посадкой разведите препарат в воде и положите туда семенной картофель примерно на 30 минут Таким образом вы сначала обработаете посадочный материал.
После того, как появилась ботва и на ней станут заметны первые признаки фитофторы, картофель можно опрыскать преператами «Хом», «Оксихом», «Ордан», «Браво». После первого опрыскивания рекомендуется провести повторную обработку через 10 — 14 дней.
Также с этой целью можно использовать препарат «Купроксат». Обрабатывать картофель данным препаратом можно за 15 дней до выкопки. Но все же лучше его использовать как средство профилактики.
stepanoff
Для лечения картофеля от фитофторы применяют следующие химические препараты:
В начале посадки картофеля:
- Арцедил (50 граммов на 10 литров воды).
- Ридомил МЦ (25 граммов на 10 литров воды).
- Осксихом (20 граммов на 10 литров воды).
После цветения:
- Дитамин М-45 (20 граммов на 10 литров воды).
- Хлорокись меди (40 граммов на 10 литров воды).
- Купроксат (25 грамов на 10 литров воды).
Количество обработок составляет 3-4 за сезон, интервал между обработками – 1 неделя.
Андрей0817
Если у вас сейчас нет возможности поехать и купить специальные препараты, то опрыскайте кусты картофеля слабым раствором марганцовки (бледно розового цвета).
Все микробы болезни погибнут, но не надолго. Дней на 5 хватит, максимум — на неделю, а потом надо будет опять марганцовку делать или ехать за препаратами для растений.
Я раза 4 за лето брызгаю марганцовкой и только потом химией (её хватает на 2 недели), не хочется есть картошку напичканную химией. У соседей уже давно одни стебли от картошки стоят, а у меня вся зелёная.
А моя соседка борьбу с фитофторой удачно ведёт с помощью раствора медного купороса и вообще не применяет химию, ноего у меня нет и я не знаю как его разводить.
Aleso
Чтобы не было фитофторы у картофеля многие огородники стараются садить картофель тех сортов, для которых фитофтороз не страшен.
Но всё таки профилактику или уже начинающее заболевание можно предотвратить, эта зараза настолько передаваема, даже от ваших соседей.
Для этого подойдёт очень хороший препарат Гальбен М 8-65 с концентрацией 0,6%.
Опрыскивать этим фунгицидом системного действия надо не только листья картофеля, но и весь куст и даже молодые побеги, опрыскивание надо проводить один раз в 15 дней.
За сезон достаточно опрыскать два раза.
kitsune Tenko
Никогда не используйте для посадки клубни, которые даже слабо поражены этой напастью фитофторозом. Но если картофель всё же поразил фитофтороз, то мы всегда обрабатываем его медным купоросом, что даёт прекрасный эффект всегда.
Иногда случается, что картофельные посадки оказываются поражены не только фитофторозом, но и одновременно альтернариозом (тоже картофельная болезнь). Тогда в таком случае можно применить такой препарат для борьбы с этими болезнями:
Он защитит от обеих заболеваний сразу, что очень удобно.
Барамбулечка
Фитофтора очень часто поражает картофель и остальные пасленовые растения. Чтобы уберечь картофель от фитофторы нужно опрыскивать картофель для профилактики фитоспороза 1 раз в неделю.
Препараты для борьбы с фитофторой много. Для профилактики часто используют ФитоспоринМ, а для лечения Арцедил.
Неплохо лечит фитофтороз картофеля медный купорос (купроксат), Дитамин-М.
Мне советовали бороться с фитофторой на огурцах кислым кефиром, может и для картофеля подойдет?
дольфаника
Сорта картофеля Елизавета, Чародей, Петербургский устойчивы к заболеванию, если предпочесть именно эти сорта, тогда картофель не страшна фитофтора.
Но если случилась напасть, тогда помогут препараты Радомил МЦ, Гальбен, Арцерид замедлить этот процесс и немного уберечь от дальнейшего развития заболевания. Кроме этого обработка медным купоросом также подействует как выше нахванные препараты.
Mirra-Mi
Каждый садовод, выращивающий у себя в огороде культурные растения, в частности картофель встречается с такой неприятной болезнью как фитофтора.
Для профилактики от фитофторы можно обработать семена картофеля перед посадкой препаратом Максим и Селест.
До цветения картофель следует обрабатывать препаратами:
Adgjmp
Насколько мне известно, то фитофтору можно победить различными медьсодержащими препаратами. Так, что преобретая препарат читайте какие вещества в нём присутствуют. Используйте для опрыскивания бордосскую 1% жидкость, она как раз содержит медь.
Эмина
Обработать картофель от фитофторы можно химическими препаратами сильного действия Метаксил, Ридомил МЦ, Оксихом и другими , кроме того хорошо помогает в борьбе с фитофторой медный купорос. А если, хотите обойтись без затрат на химические средства, то тогда приобретайте для посадки специальные сорта картофеля, которые не заражаются фитофторой.
Марлена
Многих дачников затрагивает эта проблема. Советов и народных рецептов от фитофторы много, но есть и специальные препараты. К примеру, Метаксил. Можно опрыскивать картофель этим средством. Также рекомендуют медный купорос.
Также есть специальные сорта картофеля, которому не страшна эта болезнь. К примеру: Чародей.
bolshoyvopros.ru
Как бороться с фитофторой картофеля
Фитофтора — быстро распространяющееся грибковое заболевание пасленовых. Оно способно значительно снизить урожайность. Бороться с фитофторой почти бесполезно, в основном все меры сводятся к профилактике.
Вам понадобятся
— препараты;
— чеснок;
— дрожжи;
— марганцовка.
Инструкция 1
Прежде всего сажайте те сорта картофеля, которые генетически устойчивы к фитофторозу. В основном это ранний картофель, который к массовому распространению грибка в середине лета уже поспевает. Но есть и среднеспелые сорта, такие как Луговский, Гранола и др.
2
Так как фитофтора быстро распространяется на загущенных посадках, сажайте картофель рядками с междурядьями в 70 см и более. Особенно это поможет избежать заражения в дождливые годы.
3
Грибок сначала попадает на листья, а потом уже переходит на клубни, которые темнеют и гниют при хранении. Обработайте посадки при первых признаках появления фитофторы. Лучше, если вы сделаете это не тогда, когда листья у вашей картошки потемнели, а заранее — в качестве профилактики. Используйте бордоскую жидкость. Или же «Фитоспорин», а также «Циркон»,»Акробат», «Ридомил».
4
Не всегда такие меры помогают, фитофтора все равно губит картошку. Поэтому нужна более тщательная профилактика перед посадкой пасленовых на таких участках. Вносите в каждую лунку медьсодержащие препараты. Но только совсем малые дозы.
5
Из дедовских методов можно попробовать следующее. Обрызгайте картофель с первыми признаками фитофторы раствором дрожжей. На 100 г дрожжей берите 10 л воды. Если у вас посадки небольшие, обработайте их настоем чесночных стрелок. На 10 воды возьмите 500 г стрелок и 1,5 г марганцовки.
Для надежности проводят повторную обработку через 10 дней.
Правила личной безопасности при использовании препаратов из растений против вредителей сада
Спасение утопающих — дело рук самих утопающих…
Растения против вредителей сада -2
для вас Galimax
отсюда
Читайте также:
Фитофтора уничтожает картофель — 35 Медиа
Фитофтороз – одно из наиболее распространенных заболеваний картофеля. В его основе лежит атака на растение мицелиальных организмов, то есть грибков. И такая «картошка с грибами» точно не понравится никому. Как спасти урожай выяснял «Голос Череповца».
Дожди, туманы и роса. После благоприятных погодных условий в июне картофель на дачных участках многих череповчан пышно разросся и дружно зацвел. Глаз дачника не мог нарадоваться. Однако в июле ситуация изменилась. Пошли дожди, стало заметно прохладнее, и появилось еще более опасное явление для картофеля — большие перепады дневной и ночной температур в сопровождении туманов и обильной росы. Вкупе с очень густой ботвой создались благоприятные условия не только для развития фитофторы, но и ее стремительного прогрессирования, при котором за неделю вместо сочной растительности можно получить почерневшие голые стебли. А так как время копки картофеля еще не пришло, то можно потерять и значительную часть урожая.
Где прячется враг? Погодные факторы, о которых мы говорили, просто благоприятствуют развитию болезни, но не являются ее первопричиной. Главные источники — это зараженная почва либо остатки больных растений.
Тот факт, что изначально ботва выглядела здоровой, не означает, что мицелия не было в опасной близости. Дело в том, что жаркая погода – враг возбудителя, борющийся прямым способом. При жаре пятна фитофторы засыхают, а стебли картофеля быстро омолаживаются благодаря тому, что вырастают новые здоровые листья. То есть рост ботвы в этот период идет значительно быстрее распространения грибка.
Следовательно, нужно постоянно визуально инспектировать картофель. При фитофторе болезнь начинается с нижних листьев. С помощью ветра, некоторых насекомых (мошек) споры мицелия с больного растения переносятся на другие кусты. И если вы заметили первые бурые точки и пожелтение нижних листьев, немедленно приступайте к обработке растений.
Если не предпринять никаких мер, то патогенный процесс уходит обратно в почву, поражая там клубни. Они в лучшем случае не набирают массу, теряют потребительские свойства, в худшем — начинают гнить в земле. На разрезе больных картофелин видны участки пораженной ткани. Такой плод уже непригоден в пищу, а при хранении он начинает быстро гнить и поражать гнилью соседние клубни.
Агрессивная мутация. Интересно, что в конце ХХ века появились новые генотипы фитофтороза. Причем это стало следствием большей агрессивности микроорганизмов, они приобрели способность развиваться в условиях, которые ранее считались для них неблагоприятными. Далее был обнаружен результат совместного развития старого и нового типа грибков. Это так называемые ооспоры. Они могут сохранять жизнеспособность до четырех лет, выдерживать и низкую, и высокую температуру, зимовать на клубнях, остатках ботвы, в почве. Новый тип грибка может заражать культуру даже в фазе всходов.
Фитофтора способна резко сократить урожай, снизить его качества вплоть до полной непригодности для употребления в пищу, а после этого еще и оставить в почве ооспоры, которые могут проявить себя в течение четырех лет.
Стоит ли «химичить»? Для борьбы с грибками этой группы, конечно, есть химические средства. Они делятся на три типа.
* Средства первого типа способны защитить от заражения, но не могут лечить, когда растение уже поражено. При этом защитный эффект есть только в месте нанесения.
* Вторая группа — средства, которые позволяют излечить растение, но только на ранних этапах развития фитофтороза. То есть важно поймать этот момент.
* Комбинированные препараты, которые могут оказывать как профилактическое, так и лечебное действие, проникая внутрь растения.
Помимо того, что применение химических средств не все одобряют, у них есть еще слабые стороны. Во-первых, грибы со временем вырабатывают устойчивость к фунгицидам. Во-вторых, препараты наружного действия зачастую смываются дождем. Поэтому обработка делается несколько раз с интервалом 7 — 10 дней, а применение фунгицидов должно прекращаться задолго до сбора урожая — в инструкции к препаратам эти сроки указываются.
Также есть способ обработки клубней картофеля перед посадкой медным купоросом и бордоской жидкостью. Для их опрыскивания разводится 100 г препарата на 10 л воды.
Народные способы. Надо понимать, что большинство народных способов были придуманы еще при первом типе грибков.
* Древесная зола. Ее используют не только в качестве профилактического, но и лечебного средства. Некоторые сажают клубни, обваляв в золе. Как только картофель взойдет, золой посыпают междурядья. Повторяется эта процедура, когда растение будет зацветать.
* Молоко с йодом. На 10 литров воды идет литр молока и 15 капель йода. Полученным раствором картофель опрыскивается каждые две недели.
* Молочная сыворотка с йодом. Хорошо зарекомендовал себя такой способ: 2 литра молочной сыворотки плюс 20 капель настойки йода разводят в 10 литрах воды; опрыскивают кусты один раз в неделю. Если идут дожди и понижается температура, опрыскивают чаще – каждые четыре дня, рано утром и поздно вечером. Обрабатывать можно не только картофель, но и помидоры и баклажаны.
* Настой чеснока с марганцовкой. На 10 литров воды берется 100 граммов чеснока и 1 грамм марганцовки. Чеснок измельчают и заливают стаканом воды, после чего дают настояться два дня. Полученный настой процеживают, разводят водой и перед опрыскиванием добавляют марганцовку.
Профилактика лучше лечения.
Что можно предпринять заранее, чтобы избежать проблем?
1. Правильно выбрать место для посадки. Надо избегать участков с повышенной влажностью грунта. Он должен быть рыхлым, с хорошими дренажными качествами. Желательно, чтобы не было затенения.
Не следует в одном и том же месте выращивать картофель более пяти лет подряд (в идеале — не больше двух лет). Хорошими предшественниками для него считаются многолетние травы, озимые культуры, свекла, кукуруза, горчица, редька.
При посадке оставляйте достаточно места между рядками для вентиляции, оптимальная ширина — не менее 70 см. Такой прием поможет избежать заражения в дождливое лето.
2. Второй элемент профилактики — посадка сортов, устойчивых к фитофторозу. Агрономы среди таковых называют Удачу, Резерв, Тимо, Ниду, Голубизну, Луговский, Зарю, Невский.
3. Не сажайте зараженные семена. Как определить, заражены ли клубни? Для этого прогревают посадочный картофель в течение двух недель при температуре 16 — 17 градусов. Поддержание таких условий позволит визуально заметить первые признаки фитофтороза и отбросить пораженные корнеплоды.
В осеннее время, когда отбирается посадочный материал, поврежденные клубни сжигаются, а не выбрасываются.
В качестве профилактических средств широко используются минеральные удобрения. Но следует быть осторожным при внесении азотистых удобрений, так как в чрезмерных количествах они вызывают задержку развития плодов, что делает картофель более восприимчивым к фитофторе и другим недугам.
Полив растений во время засухи проводится только с помощью шланга, опущенного в борозды между грядками. Также своевременно удалять сорняки, создающие благоприятные условия для развития заболевания, став для спор грибов идеальным местом хранения.
Растения, пораженные фитофторозом, необходимо удалять и сжигать, как только вам удалось их заметить.
#справка
За две недели до уборки урожая ботву срезают, чтобы зооспоры с ботвы не перешли на клубни. Всю ботву сжигают. Кроме того, этот прием делает толстой кожуру клубня, поэтому картофель будет лучше храниться зимой. Если фитофтора проникла в клубни (на картофеле бурая гниль), нет смысла закладывать клубни на хранение. Через две-три недели они полностью сгниют.
Владимир Сентябрев, газета «Голос Череповца»
Фитофтороз — средства борьбы, признаки, описание заболевания картофеля
Фитофтора является одной из наиболее широко распространенных болезней картофеля – она встречается на всей территории РФ. На поле, пораженном фитофторозом, урожайность может снизиться более, чем на 70 %. Примечательно, что даже если на ботве есть только небольшие очаги поражения, клубни могут быть полностью уничтожены возбудителем болезни. Своевременное использование средств от фитофторы на картофеле позволит предупредить распространение болезни и сохранить максимальный объем урожая и его качество.
Возбудитель фитофтороза
Виновником возникновения болезни считается грибоподобный фитопатоген, способный распространяться в межклетниках пораженной им ткани. Заражение может происходить как через листья, так и через корни (что и случается при выпадении осадков или неправильной технике орошения). Здоровые клубни могут заболеть и во время уборки урожая, контактируя с зараженной фитопатогеном почвой и ботвой.
Признаки фитофтороза
Фитофтора способна поразить листья, стебли и клубни картофеля. Первые симптомы болезни можно обнаружить на молодых растениях картофеля. Нижние листья и отдельные участки стебля начинают быстро покрываться темными пятнами. Затем данные очаги засыхают, а при влажной и дождливой погоде могут загнивать. В результате на нижней стороне листьев образуется белый паутинообразный налет. На клубнях, которые поражены фитопатогеном, можно разглядеть сероватые и бурые вдавленные пятна с резкими очертаниями. На срезе невооруженным глазом можно отличить очаги некроза, имеющие бурый или рыжий оттенок, которые распространяются внутрь. Для предотвращения гибели больших объемов урожая необходимо своевременно использовать различные меры по защите картофеля от фитофторы.
Средства от фитофторы для картофеля от компании «Байер»
Компания «Байер КропСайенс» предлагает следующие препараты от фитофторы на картофеле.
Консенто
Этот комбинированный системно-трансламинарный фунгицид, выпускаемый в форме концентрата суспензии, позволяет эффективно бороться с фитофторозом на картофеле во все фазы его развития. Период защитного действия зависит от погодных условий и находится в пределах от 7 до 14 суток.
Консенто показывает хорошую устойчивость к атмосферным осадкам и может с успехом применяться даже в регионах с дождливой погодой. Норма расхода препарата составляет от 1,75 до 2 л/га. Обработку от фитофторы необходимо проводить путем опрыскивания в период вегетации культуры: в первый раз – для профилактики, начиная с фазы смыкания ботвы в рядах, последующие – с интервалами в 7-14 суток. Норма расхода рабочей жидкости – 400 л/га. За один сезон достаточно провести 4 обработки.
Пеннкоцеб
Данный контактный фунгицид для картофеля от фитофтороза выпускается в форме смачивающегося порошка и способен воздействовать на патоген двумя способами – блокировать прорастание спор и останавливать развитие мицелия. Период защитного действия этого препарата составляет до двух недель. При этом воздействие на фитопатоген начинается уже на первые сутки после проведенной обработки.
Пеннкоцеб может использоваться в баковых смесях с большинством инсектицидов и других фунгицидов, однако перед возможным совместным применением рекомендуется проверка химической совместимости. Норма расхода препарата – от 1,2 до 1,6 кг/га. Обработку следует проводить путем опрыскивания в период вегетации 0,2 %-ным раствором три раза за сезон.
Инфинито
Этот системный фунгицид, как и предыдущие два, направлен на защиту картофеля от фитофтороза. Он выпускается в форме концентрата суспензии и обеспечивает надежную защиту листьев и стеблей культуры от всех видов фитофтороза. Период защитного действия может длиться от 7 до 14 суток в зависимости от погодных условий и степени поражения растений.
Инфинито проникает в обрабатываемые участки культуры и начинает воздействовать на фитофтору уже через 2-4 часа после обработки. Норма расхода препарата – от 1,2 до 1,6 л/га. Опрыскивание следует проводить в течение всего вегетационного периода: первое – для профилактики, последующие – с интервалами в 7-14 суток. Норма расхода рабочей жидкости составляет 400 л/га.
Данный комбинированный фунгицид обладает высокой дождеустойчивостью и может использоваться для борьбы с фитофторозом картофеля даже в регионах с влажным климатом. Препарат выпускается в форме водно-диспергируемых гранул, удобных в применении.
Период защитного действия может длиться от 7 до 14 суток (продолжительность зависит от погодных условий в регионе обработки и степени инфицированности картофеля). При сильном поражении фитофторозом Сектин Феномен рекомендуется использовать с интервалом не более 7 суток. Норма расхода препарата – от 1 до 1,25 кг/га. Опрыскивание необходимо проводить не менее 4 раз за сезон при норме расхода рабочей жидкости 400 л/га.
Фитофтора на картофеле: как бороться и как избавиться на картофельном участке — меры борьбы и обработка, чтобы спасти и уберечь
От страшного заболевания — фитофтороза страдают многие посадки. Споры грибка присутствуют в почве, а также могут попасть на участок извне. Фитофтора очень быстро распространяется, поражая все части растения. Как бороться с этим недугом на картофеле расскажет вам наша статья.
Проявления заболевания Фитофтора на клубнях картошки
Буквальный перевод названия болезни гласит: «уничтожаю растения». Фитофторе в большей степени подвержены представители семейства пасленовых: томаты, картофель, баклажаны и перец. Можно заметить признаки грибка на землянике, гречихе и других сельскохозяйственных культурах. «Симптомы» знакомы большинству огородников не понаслышке, но такая информация все равно будет полезной.
Проявления фитофтороза:
- Надземная часть растения становится бурой.
- Мясистая часть листьев скручивается и усыхает.
- Клубни картофеля имеют пятна, которые разрастаются вглубь.
- Растение погибает, клубни не годятся в пищу.
На видео – фитофтора на картофеле:
Успешно вылечить фитофтороз или хотя бы замедлить его развитие можно только на ранних стадиях. При этом грибок распространяется просто с поразительной скоростью и за недолгое время способен погубить весь урожай. Ежегодно потери от этой напасти составляют от 20% всех насаждений. Разумеется, мириться с такой несправедливостью не стоит, ведь большинство угрожающих факторов можно устранить самостоятельно. Про внекорневую подкормку картофеля расскажет эта статья.
Профилактика и защита на посадках, чем опрыскивать, как уберечь садовую культуру
Характерной особенностью картофельных посадок является их многочисленность. Даже на небольшом дачном участке нет смысла выращивать 10 – 20 кустов картофеля, поэтому обработка значительной площади составляет определенные трудности.
Если с фитофторой на помидорах можно справится относительно легко, то посадки картофеля находятся в большей зоне риска.
Именно поэтому среди главных способов уберечь урожай от вездесущего грибка, большое значение имеет профилактика. Для этого необходимо знать, что споры фитофторы не любят солнечного света и низких температур. Также им больше нравятся изолируемые участки, поэтому в теплицах томаты поражаются чаще, чем при выращивании в открытом грунте. Если применить все эти факторы к картофельной культуре, можно выделить следующие советы по профилактике. Также будет полезно узнать о том, что можно сажать после картофеля.
На видео – профилактика заболевания:
Как уберечь картофель от фитофторы:
- Соблюдать комфортное расстояние между растениями. Загущенность посадок — немаловажный фактор риска. Если в случае с аналогичной ситуацией с томатами можно оборвать лишние листья и пасынковать растение, то на картофельном поле такой метод будет трудоемким и бессмысленным.
- Обеспечить регулярное рыхление. Окучивать ряды картофеля можно различными способами, для облегчения этого процесса придумано немало приспособлений. Такие мероприятия не стоит игнорировать, необходимо хотя бы одна такая «процедура» за сезон.
- Мульчирование почвы. Весьма эффективный способ профилактики. Для полноценного результата слой мульчи должен быть не менее 10 сантиметров, чтобы минимизировать контакт листьев с землей.
- Качественный посадочный материал. Если использовать зараженный картофель, естественно, из него не сможет вырасти здоровое растение. Хорошо проводить предварительную обработку клубней от фитофторы. Также желательно приобретать картофель, устойчивый к фитофторе, что обеспечит дополнительную защиту от напасти.
- Подготовка почвы. Немаловажный фактор профилактики. Место для посадки не стоит выбирать в низине, где может скапливаться влага, провоцирующая заболевание. Кроме того, не стоит увлекаться известкованием почвы, что также влияет на развитие грибка. После сбора урожая обязательно необходимо сжечь всю ботву, а поле перекопать или взрыхлить на глубину штыка лопаты. В зимнее время споры грибка вымерзнут если не все, так подавляющее большинство.
- Правильный расчет подкормок. Не стоит полагаться на случай и сыпать удобрения «на глаз». Нехватка минералов пагубно отразиться на здоровье растений, а также спровоцирует большую степень поражения фитофторой. С другой стороны, переизбыток тоже не подходит, ведь, например, излишек азота провоцирует формирование ботвы, делает бессильными перед заражением. Среди элементов – защитников, лучше всего показали себя медь и калий.
- Оптимальное соседство. Картофельные посадки можно ограничить рядами стойких к заразе культур, а также периодически менять, чтобы в земле не скапливались вредоносные штамбы. Нельзя садить рядом другие пасленовые культуры, а место их расположения в идеале менять каждый год. Вернуться к выращиванию картофеля можно не ранее чем через три – четыре года, но на практике это правило трудновыполнимо.
- Своевременная уборка урожая. Выкапывать корнеплоды лучше всего в сухую и не солнечную погоду при технической спелости плодов. Если дождаться дождей и сырости, урожай гарантировано будет поврежден спорами грибка и даже при правильном хранении вряд ли доживет до весны.
А вот какие существуют препараты для уничтожения колорадского жука, и какие средства самые лучшие, указано в статье по ссылке.
В данном видео можно увидеть как садить картофель под солому.
Также будет полезно узнать о том, как происходит выращивание картофеля из семян в домашних условиях: //gidfermer.com/sadovodstvo/ovoshhevodstvo/vyrashhivanie-kartofelya-iz-semyan.html
Основные правила агротехники картофеля не идут вразрез с приведенными рекомендациями. Эта культура относительно неприхотлива и даст стабильный урожай даже в плохое лето. Профилактические мероприятия очень хорошо себя показали, но что же делать при обнаружении первых признаков заболевания на растении. Отдавать урожай коварной фитофторе никто не собирается, есть специальные методы борьбы с такой напастью. Как бороться с фитофторой на помидорах читайте по этой ссылке.
Народные методы и средства обработки – опрыскивание и борьба с фитофторозом
Такие методы безвредны для человека, но малоэффективны при сильном поражении. Лучше всего комбинировать профилактику с регулярными опрыскиваниями, чем потом спасать урожай всевозможной химией.
Лучшие рецепты от фитофторы для картофеля:
- Молочный раствор. На 10 литров воды берется литр молока или кефира. Можно использовать сыворотку, разведенную 1:1. Молочные продукты формируют на листьях тонкую пленку, не позволяющую проникнуть внутрь грибку. Опрыскивать необходимо каждые 10 – 14 дней до уборки урожая.
- Раствор йода. Стандартная дозировка — 15 – 20 капель на 10 литров воды. Таким компонентом можно дополнять молочную смесь, а можно использовать отдельно. Частота опрыскивания — не менее трех раз за сезон.
- Чесночный настой. Для этого необходимо заварить 100 грамм измельченного чеснока в 10 литрах воды. Через сутки раствор для опрыскивания готов.
- Настой гриба – трутовика. Примерно 100 грамм измельченного гриба заварить литром кипятка и настаивать сутки. Затем смесь процедить и развести 9 литрами воды.
На видео – народные меры борьбы с фитофторой на картофеле:
Можно опудривать посадки древесной золой. Для профилактики обязательно добавлять по столовой ложке золы в каждую лунку. Это простое и недорогое средство отличается эффективностью против фитофторы, но его может быть недостаточно. А вот как использовать древесную золу как удобрение для огорода, поможет понять данный материал.
Чем обработать, как избавиться и лечить ботву картофеля – специальные препараты (фунгициды)
Покупные средства, как правило, отличаются большей эффективностью и не требуют частого применения. С другой стороны, это дополнительная химическая нагрузка на урожай и финансовые вложения. Если болезнь прочно укоренилась на участке, необходимо учитывать особенности применения того или иного препарата, а также точно соблюдать дозировку средства.
Обзор специальных препаратов от фитофтороза картофеля:
- Медный купорос. На 10 литров воды необходимо взять 200 грамм вещества.
- Бордоская жидкость. Улучшенный аналог предыдущей смеси. Готовиться из равного количества ингредиентов (по 200 грамм), растворенных в 10 литрах воды. Для более эффективного приготовления лучше разделить компоненты, смешав вместе уже растворы. Также будет полезно узнать о том, как применять гербицид Лазурит, и узнать больше про инструкцию по применению средства.
- Следующая смесь также готовится на основе этих компонентов. Для этого отдельно смешивается по чайной ложке медного купороса, марганцовки и борной кислоты. Полученные растворы соединяются, выход смеси — 10 литров.
- Оксихом. Фунгицид широкого спектра действия. На 10 литров воды необходимо взять 20 грамм смеси. Последнее опрыскивание проводят за 20 дней до уборки картофеля.
- Арцерид. Разводится из расчета 50 грамм на 10 литров воды. Количество опрыскиваний не должно превышать трех раз. Может использоваться и для других сельскохозяйственных культур.
- Ридомил Год МЦ. Препарат широкого спектра действия. Используется аналогично с «Арцеридом».
При покупке препарата Престиж для обработки картофеля, как и другого подходящего средства, следует учитывать, что до сбора урожая должно пройти определенное время. Обработанный картофель, как правило, не годится для еды некоторое время, поэтому при такой обработке важно соблюдать дозировку и инструкцию по применению.
Какие выбрать сорта картофеля для Подмосковья, устойчивые к заболеванию
Немаловажным фактором, влияющим на степень поражения картофеля, является его сорт. Давно подмечено, что даже самая урожайная картошка со временем вырождается и становится мелкой и немногочисленной. Это же правило можно применить к фитофторозу. Если ранее сорт отличался завидной стойкостью, то при дальнейшем выращивании можно отметить, что коварная болезнь все больше и больше поражает растение. Этому можно воспрепятствовать, если регулярно менять сорта, отдавая предпочтение стойким к грибку.
Отзывы о сорте картофеля Адретта читайте тут.
Подходящие сорта стойкого к фитофторе картофеля для Подмосковья:
- Весна.
- Голубизна.
- Сорт Невский.
- Ред Скарлетт.
- Удача.
- Адретта.
- Бронницкий.
- Любава.
- Лазурит.
- Росинка.
- Скарб.
- Нида.
- Луговский.
- Резерв.
- Тимо.
Фитофтороз — коварное заболевание, способное в считанные дни уничтожить растение. Им подвержены картофель, томаты, перец и баклажаны, а также в незначительной степени другие культуры. Чтобы определить оптимальный способ защиты от такого недуга, необходимо знать врага в лицо, а также придерживаться комфортных для произрастания растения условий. Профилактика и обзор специальные средств от фитофтороза картофеля приведен в информации нашей статьи.
Про сорт картофеля Удача читайте здесь.
Что делать если картошку поразила фитофтора
методы борьбы, причины, признаки, профилактика
Фитофтороз – одно из наиболее распространенных заболеваний растений. Поэтому важно знать, почему возникает недуг, как его выявить, в чем заключаются методы профилактики и лечения картофеля, эффективные народные средства, а также что такое трехкратная схема обработки картофеля.
Что такое фитофтора и причины ее возникновения?
Фитофтороз – часто встречающееся грибковое заболевание картофеля и других растений, вызванное мицелиальными организмами. Овощ поражается грибком phytophthora infestans.
Инкубационный период этих патогенных организмов составляет не более двух недель, ввиду чего заболевание быстро прогрессирует. Мицелий находится в клубнях картофеля, который ранее был поражен фитофторой.
Главные источники болезни:
- зараженная почва;
- остатки больных растений (ботвы).
Выделяют оптимальные условия, способствующие развитию заболевания:
- температурный режим +15-25 градусов;
- высокая влажность – более 75%;
- густая посадка растений.
Особенно быстро распространяется возбудитель в дождливое время, при резкой смене дневной и ночной температуры, которая сопровождается появлением большого количества росы и туманов.
Жаркая погода – враг возбудителя. Пятна фитофторы засыхают, стебли омолаживаются благодаря тому, что вырастают новые здоровые листья. Грибок в это время распространяется крайне медленно.
Признаки фитофтороза картофеля
Основные признаки поражения фитофторой картофеля:
- приобретение надземной частью растения бурого окраса;
- скручивание и усыхание мясистой части листьев;
- появление пятен на клубнях картофеля;
- гибель растения, непригодность клубней в качестве пищевого продукта.
Кроме того, приглядевшись к обратной стороне листа, можно заметить споры грибов, имеющие вид белого налета, что поможет безошибочно определить заболевание.
Новый генотип фитофторы
Возбудитель заболевания, который поражал картофель и длительное время считался единственным генотипом, был ввезен в страны Европы в XIX веке. В конце же XX века стали обнаруживаться новые генотипы фитофтороза, которые были названы типом A2.
Обнаружение A2-совместимых изолятов стало существенной проблемой, что связано с большей агрессивностью и вирулентностью микроорганизмов. Новый грибок мог спокойно развиваться в условиях, которые оказывали угнетающее действие на старую форму.
Совместное развитие местной и новой популяции приводит к появлению в пораженной картофельной ботве ооспор. Последние имеют толстую двухслойную оболочку, что обеспечивает сохранение жизнеспособности даже в неблагоприятных условиях в течение длительного времени (около 4-х лет).
Ооспоры позволяют выдерживать низкую и высокую температуру окружающей среды, зимовать на клубнях, остатках ботвы, в почве. Именно появление нового генотипа определило новый путь распространения грибов (ранее почва не могла быть длительное время заражена патогенными микроорганизмами).
Старая форма заболевания могла поражать картофель только во второй половине вегетации. Новый тип способен заражать культуру даже в фазе всходов.
Чем опасна фитофтора на картофеле?
Ежегодно в России потеря картофеля по причине фитофтороза составляет примерно 4 млн. тонн. Если заболевание было выявлено на поздних этапах, скорее всего растение погибнет и будет заражена большая часть урожая, который станет непригодным для употребления.
Кроме того, новые формы ооспор останутся в почве, и в течение 4-х лет смогут вызвать новую вспышку болезни, если на этом же месте будет посажен картофель или другие пасленовые.
Лечение картофеля с помощью фунгицидов
Средства данной группы подразделяются на:
- Контактные – препараты, которые позволяют защитить растения от заражения, но не способны оказывать непосредственного лечебного действия. Эффективны только в области их нанесения.
- Системные – средства, которые позволяют излечить растение, но только на ранних этапах развития фитофтороза. Эффект сохраняется не только на месте нанесения, но и внутри растения.
- Системно-контактные – комбинированные препараты, которые могут оказывать как профилактическое, так и лечебное действие, проникая внутрь растения.
- Трансламинарные – средства, которые способные проникать в ткани растений на некоторую глубину, но не разносятся по сосудистой системе, что характерно для препаратов системного действия. Подобный эффект помогает компенсировать неравномерное нанесение фунгицида на поверхность растения.
Грибы семейства Pythiaceae легко вырабатывают устойчивость к фунгицидам, действующим внутри растения, а к тем, что действуют снаружи, обычно всегда чувствительны.
Контактные фунгициды
К контактным фунгицидам, которые позволят эффективно бороться с фитофторой на картофеле, относятся:
- Антракол – имеет разностороннее действие, используется при фитофторозе и альтернариозе на картофеле, смывается осадками. Обрабатывают 2-3 раза с промежутком в 7-10 дней. За 40 дней до сбора урожая следует прекратить обработку картофеля этим препаратом. Расход препарата – 2 кг на 1 га.
- Медный купорос и бордоская жидкость (смесь медного купороса в гашеной извести). Для опрыскивания клубней картофеля перед посадкой разводится 100 г препарата на 10 л воды. Удобнее сложить посадочный материал в сетку для овощей, и окунать картофель в раствор.
- Ширлан – эффективное профилактическое средство, которое имеет продолжительный период действия в 7 дней и не смывается осадками. Обычно требуется 2, максимум – 4 обработки препаратом. Первое опрыскивание осуществляют при достижении растением высоты примерно в 20 см, а следующее – незадолго до начала усыхания ботвы картофеля. Расход средства – 0,3-0,4 л на 1 га огорода.
Системные фунгициды
Среди системных фунгицидов наиболее эффективны:
- Фундазим – средство, обладающее защитным, профилактическим и лечебным действием. Препаратом производят сухую обработку клубней перед их посадкой из расчёта 20 г средства на 40 кг картофеля.
- Квадрис – фунгицид широкого спектра действия, используемый для подавления возбудителя болезни, когда тот только начинает проявлять себя. Шесть миллилитров суспензии разводят в пяти литрах воды. На одну сотку огорода уходит 5 л готового раствора. Препарат убивает грибок не полностью, из-за чего спустя неделю может потребоваться повторное проведение опрыскивания.
Системно-контактные фунгициды
Эта группа представлена следующими препаратами:
- Ридомил Голд – наиболее эффективное и доступное средство в наше время. Это комбинированный фунгицид, который оказывает внутреннюю (эффект Мефеноксама) и внешнюю защиту (эффект Манкоцеба). Первое опрыскивание лучше производить профилактически ещё до смыкания ботвы картофеля. Потом проводить обработку каждые две недели. Таких обработок может быть три за сезон. Раствор получают так: 25 г препарата разводят 10 литрами воды. Расход раствора составляет 20-40 мл на каждый кв. м посадки. Перед сбором урожая опрыскивания прекращают (за 2 недели до этого события).
- Метаксил – препарат, который оказывает длительное профилактическое и лечебное действие (эффективен на протяжении 2-х недель). Для данного фунгицида характерна низкая фитотоксичность. Метаксил – комбинированный препарат, в состав которого входит Манкоцеб и Металаксил с контактным и системным действием соответственно. Расход разведенного раствора – до 400 л/га (это где-то 2-2,5 кг сухого средства на 1 га). Обычно за сезон опрыскивают до 3-х раз с паузой в 10-14 дней.
Трансламинарные фунгициды
В эту группу можно включить 2 эффективных препарата:
- Танос – также комбинированное средство, оказывающее лечебное действие. Благодаря Фамоксадону на поверхности листков растения образуется пленка, которая действует как барьер. Не смывается дождем или водой при орошении. Цимоксанил оказывает действие на множество биохимических реакций, которые происходят внутри гриба, из-за чего у последнего не вырабатывается резистентность к препарату. Опрыскивают картофель 4 раза (по разу на каждой стадии развития вегетации): смыкание ботвы, появление бутонов, окончание их цветения, появление многочисленных зеленых ягод, напоминающих завязи помидоров. На одно опрыскивание расходуют раствора из расчёта 40 мл на 1 кв. м.
- Акробат – трансламинарный фунгицид, действующие вещества которого – диметоморф и манкоцеб. Препарат крайне эффективен, т. к. гриб к нему малоустойчив. На одну сотку земли уходит 20 г препарата, которые растворяют в 5 л воды. Опрыскивают пару раз с промежутком в 2 недели. За месяц до сбора урожая опрыскивать не рекомендуется.
Правила безопасности
При использовании фунгицидов, несмотря на малую токсичность некоторых, следует использовать средства защиты:
- специальную одежду;
- перчатки;
- очки;
- респиратор.
Если работаете с «Бордоской жидкостью» либо медным купоросом отдельно, помните, что емкости, в которых готовилось средство, не должны использоваться в дальнейшем для других нужд. Если раствор одного из этих фунгицидов остался неиспользованным – избавьтесь от него, закопав за территорией сада или огорода.
Борьба с фитофторой при помощи народных средств
Среди наиболее распространенных средств, используемых для лечения фитофторы на картофеле, выделяют:
- Таблетки «Трихопол» – растворяем 1 лекарственную форму препарата в литре воды и можем опрыскивать растения с частотой 1 раз в 2 недели.
- Древесная зола – можем использовать не только в качестве профилактического, но и лечебного средства. Как только картофель взойдет, посыпаем золой междурядья. Повторяем действие, когда растение будет зацветать.
- Молоко с йодом – в 10 литрах воды разбавляем литр молока и добавляем 15 капель йода. Полученным раствором опрыскиваем картофель каждые 2 недели.
- Молочная сыворотка – эффективное средство, которое можно приготовить путем разведения сыворотки в воде в соотношении 1 к 1. Данное средство абсолютно безвредно для растений, ввиду чего его использовать можно с большей частотой – 1 раз в 3-4 дня.
- Настой чеснока с марганцовкой – раствор, используемый для обработки картофеля. Для приготовления на 10 литров воды берем 100 г чеснока и 1 г марганцовки. Перед приготовлением раствора чеснок измельчают и заливают стаканом воды, после чего дают настояться 2 дня. Полученный настой процеживаем, разводим водой и перед опрыскиванием добавляем марганцовку.
Другие препараты и средства
Среди других препаратов и средств, используемых при фитофторозе картофеля, выделяют:
- Хом – медьсодержащий препарат, который используется в качестве альтернативы «Бордоской жидкости» для защиты посадок картофеля в период вегетации. Выпускается в виде зеленого порошка, который перед использованием растворяется в воде и распрыскиваться на растения. Препаратом «Хом» обрабатывают до 5-ти раз с промежутком в месяц. Средство разводят в таких пропорциях: 20 г порошка на 5 л воды. Расход раствора приблизительно будет составлять 7 л на 100 кв. м посадки.
- Алирин-Б – биологический фунгицид, используемый для профилактических целей в любой момент роста и до высева растений либо при возникновении первых признаков грибкового поражения. Препарат характеризуется низкой опасностью по отношению к человеку, растению и окружающей среде. Выпускается в форме таблеток, которые растворяются сперва в небольшом количестве воды (10 штук в 200 мл), а потом этот концентрат вливают в 10 литров воды. Также в этот раствор добавляют 1 мл предварительно размоченного до жидкого состояния хозяйственного мыла, чтоб средство лучше схватывалось и оставалось на листьях долгое время. Опрыскивают растения с интервалом в 10-12 дней до 3-х раз за сезон.
Трехкратная схема обработки картофеля
Как понятно из названия, в данном методе посадка обрабатывается 3 раза в разные периоды развития растения:
- От появления всходов до смыкания ботвы в рядке используется Ширлан.
- От смыкания ботвы до распускания бутонов – Ридомил Голд, Метаксил.
- От появления цветков до пожухлости ботвы – Акробат либо же Танос.
Методы профилактики
К методам профилактики относят несколько методов:
- выбор места для посадки;
- использование устойчивых к заболеванию сортов картофеля;
- обработка специальными препаратами (профилактическая).
Разберемся в каждом методе подробнее.
Выбор места
Ранее уже говорилось, что зараженная почва, в которой находятся ооспоры – одна из возможных причин поражения картофеля. Лучше всего для посадки выбирать равнину.
Если участок находится в низинке, то в этих местах влажность грунта повышена, и значит высока вероятность развития болезни.
Следует также принять во внимание другие факторы:
- рыхлость грунта, хорошая податливость дренажу;
- отсутствие затенения участка;
- увеличенное расстояние между посадками различных пасленовых культур (чтобы избежать инфицирования всех растений).
Опытные садоводы не забывают и о том, что в одном и том же месте нельзя выращивать одинаковые культуры более 5 лет подряд.
Специально для картофеля можно выбрать хороших предшественников, которыми могут стать:
- многолетние травы;
- озимые культуры;
- лен;
- свекла;
- кукуруза;
- горчица;
- редька.
В дальнейшем культуры скашиваются и закапываются в почву.
Чередование посадок картофеля через каждые пару лет поможет значительно снизить риск заражения пасленовых фитофторой. Называется такая система севооборотом. Подробнее об этом читайте здесь.
Устойчивые сорта картофеля
Среди сортов, устойчивых к фитофторозу отмечают:
- Удачу – характеризуется ранней созреваемостью плодов. Клубни этого сорта крупные, устойчивы к многим заболеваниям.
- Резерв – картофель среднеранний с мелкими глазками. Неплохо переносит засуху, большую влагу.
- Тимо – высокоурожайный сорт, который не заражается фитофторой по причине своего раннего созревания.
- Ниду – среднеспелый, устойчив к фитофторозу и нематодозу, но сам довольно прихотлив к условиям выращивания (плохо переносит чрезмерную влагу и засуху).
- Голубизну – сорт картофеля со средними сроками созревания плодов. Характеризуется высокой стойкостью по отношению к фитофторе и низким температурам.
- Луговский – среднеспелый сорт. При выращивании требует систематического окучивания. Клубни долго могут храниться.
- Зарю – ранний сорт, который характеризуется устойчивостью к фитофторозу, а также ко многим вирусным и бактериальным заболеваниям.
- Невский – принадлежит к среднераннему картофелю. Нередко люди отдают предпочтение именно Невскому сорту из-за отличного вкуса клубней и малого количества отходов. Кроме того, этот картофель хорошо храниться.
Обработка
Следует запомнить, что использование зараженного посевного материала гарантирует 100-процентное заболевание фитофторозом. Но как мы можем определить клубни, пораженные возбудителем? Для этого прогреваем посадочный картофель в течение 2-х недель при температуре 16-17 градусов. Поддержание таких условий позволит заметить первые признаки фитофтороза и отбросить пораженные корнеплоды.
В осеннее время, когда отбирается посадочный материал, поврежденные клубни сжигаются, а не выбрасываются. В дальнейшем картофель просушиваем и можем спокойно хранить в удобном месте.
Чтобы повысить сопротивляемость отобранных нами сортов, можем использовать фунгициды и препараты для обработки. Среди этих средств выделяют:
- Иммуноцитофат;
- Агат-25К и пр.
Также в качестве профилактических средств широко используются минеральные удобрения. Количество калийных и фосфорных веществ увеличивается в 2 и 1,5 раза соответственно в начале развития культуры. Древесная зола – распространенный метод подкормки, используемый кроме вышеуказанных минеральных удобрений.
Следует быть осторожным при внесении азотистых удобрений, так как они в больших количествах вызывают задержку развития плодов растения, что делает картофель все более восприимчивым к фитофторе и другим недугам.
Другие методы профилактики
Нередко люди способствуют утолщению кожицы картофеля, проводя разрыхление грунта и скашивая ботву. Если нет достаточного количества времени, чтобы проводить данные процедуры – используется препарат «Реглон Супер», оказывающий идентичный эффект.
Полив растений во время засухи либо низких температур проводится только с помощью шланга, опущенного в борозды между грядками (метод дождевания при этом использовать не рекомендуется).
Культуры, пораженные фитофторозом должны удаляться и сжигаться, как только вам их удалось заметить.
Также стоит своевременно удалять сорняки, создающие благоприятные условия для развития заболевания, став для спор грибов идеальным местом хранения либо препятствуя равномерному нанесению фунгицидов на ботву картофеля.
Фитофтора на картофеле (видео)
Из этого видео Вы узнаете, что представляет собой такая болезнь картофеля, как фитофтороз, как она развивается, а также какие есть способы борьбы с ней:
Несмотря на то, что фитофтороз – серьезное заболевание, существует множество методов и средств, позволяющих уберечь картофель от патогенного грибка. Главное – внимательно следить за культурой и придерживаться всех правил профилактики.
Автор публикации
не в сети 1 месяц
Максим Романов
Публикации: 149Комментарии: 0
Фитофтороз картофеля — Публикации
Основным хозяином является картофель, но P. infestans также может инфицировать другие пасленовые растения, включая томаты, петунии и паслен волосатый, которые могут служить источником инокулята для картофеля.
В Северной Америке фитофтороз сохраняется в межсезонье на зараженных семенных клубнях, кучах отбраковки и на самосевных растениях. Знание симптомов и цикла болезни этого быстро разрушающего заболевания необходимо для реализации вариантов лечения.
Симптомы
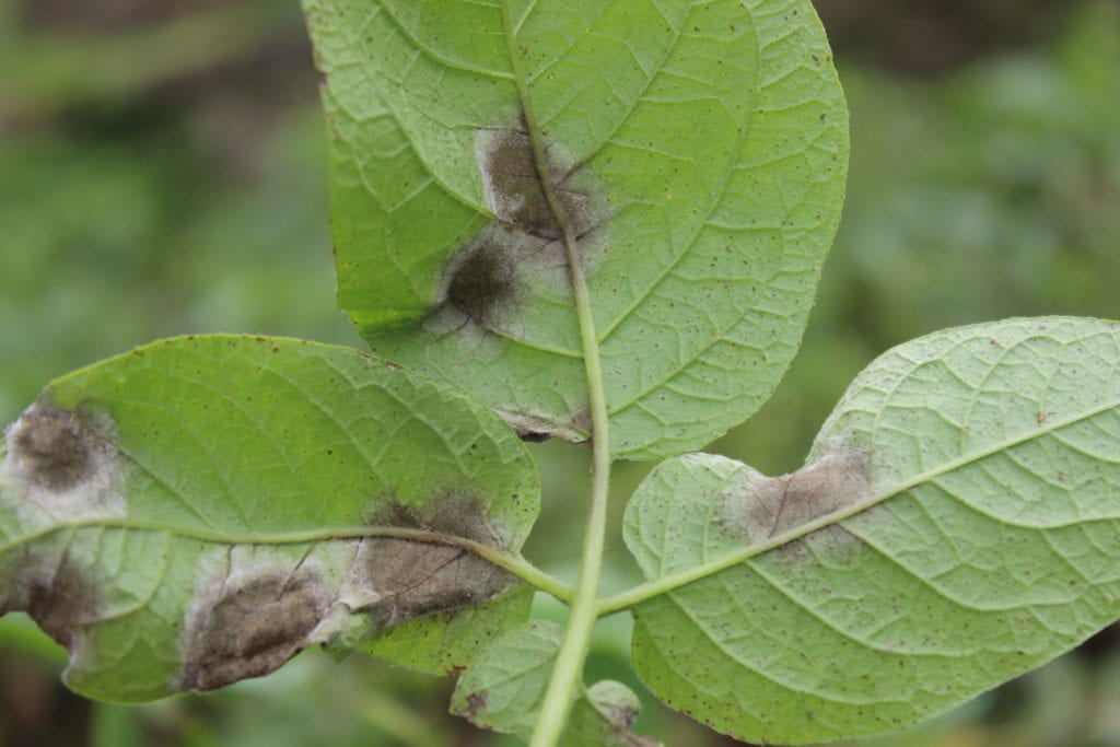
Первые симптомы фитофтороза в поле — маленькие, от светло- до темно-зеленого цвета, круглые или неправильной формы, пропитанные водой пятна. (Рис. 1) .Эти поражения обычно сначала появляются на нижних листьях. Поражения часто начинают развиваться около кончиков или краев листьев, где роса сохраняется дольше всего.
Рис. 1. Первоначальные симптомы фитофтороза представляют собой небольшие пятна от светло- до темно-зеленого цвета, круглые или неправильной формы, пропитанные водой. (Энди Робинсон, NDSU / Университет Миннесоты)
В прохладную влажную погоду эти поражения быстро разрастаются в большие темно-коричневые или черные поражения, часто выглядящие жирными. (Рис. 2) .Поражения листьев также часто окружены желтым хлоротическим ореолом (рис. 3) .
Рис. 2. Поражения от фитофтороза быстро разрастаются в большие, темно-коричневые или черные поражения, часто выглядящие жирными. (Энди Робинсон, NDSU / Университет Миннесоты)
Рис. 3. Поражения листьев часто окружены желтым хлоротичным ореолом. (Энди Робинсон, NDSU / Университет Миннесоты)
Поражения не ограничиваются жилками листьев, и по мере появления новых инфекций и слияния существующих инфекций целые листья могут испортиться и погибнуть всего за несколько дней.Поражения также могут присутствовать на черешках и стеблях растения (рисунок 4) .
Рис. 4. Фитофтороз может присутствовать на черешках и стеблях растения, особенно в новых приростах, где сохраняется влага. (Энди Робинсон, NDSU / Университет Миннесоты)
Во время активного роста, особенно в прохладную влажную погоду, на краю поражений (Рисунок 5) или вдоль черешков (Рисунок 6) видна область с белой плесенью.Это та область, где возбудитель фитофтороза активно продуцирует споры. Когда погода меняется на теплые и сухие, эти поражения становятся сухими, перестают образовывать споры и приобретают коричневый оттенок (Рисунок 7) .
Рис. 5. Во время активного роста фитофтороза, особенно в прохладную влажную погоду, на краях поражений видна область с белой плесенью. (Юджиния Бэнкс, Министерство сельского хозяйства и продовольствия Онтарио)
Рисунок 6.Активно растущий фитофтороз может вызвать появление белой плесени на черешках. (Нил Гудместад, NDSU)
Рис. 7. Коричневые сухие поражения могут развиться после теплой и сухой погоды. (Нил Гудместад, NDSU)
Поражения часто окружает бледно-зеленая или желтая кайма. Сильно зараженные поля часто имеют отчетливый запах.
Фитофтороз клубней характеризуется наличием участков неправильной формы, слегка вдавленных, которые могут значительно варьироваться от коричневых до пурпурных различного размера на кожуре (Рис. 8) .Эти симптомы могут быть менее очевидными для краснокожих и краснокожих сортов.
Рис. 8. Фитофтороз клубней характеризуется наличием участков неправильной формы, слегка вдавленных, которые могут значительно варьироваться от коричневых до пурпурных различного размера на кожуре. (Юджиния Бэнкс, Министерство сельского хозяйства и продовольствия Онтарио)
Сухая зернистая гниль от желтовато-коричневого до красновато-коричневого цвета обнаруживается под кожицей на обесцвеченных участках и распространяется на клубень обычно менее чем на ½ дюйма (Рисунок 9) .Степень гниения клубня зависит от восприимчивости сорта, температуры и продолжительности времени после первоначального заражения.
Рис. 9. Фитофтороз вызывает от коричневого до красновато-коричневого цвета гниль, находящуюся под кожицей. (Джефф Миллер, Miller Research LLC).
Край пораженной ткани не всегда отчетлив, но может быть, особенно у семенного картофеля, который хранился при температуре холодного хранения (Рис. 10) . Однако граница между тканью, инфицированной фитофторозом, и здоровой тканью часто отмечается коричневым пальцеобразным выступом в здоровой мякоти клубня.
Рис. 10. Край пораженной ткани не всегда отчетлив, но может быть, особенно у семенного картофеля, который хранился при температуре холодного хранения. (Франсиско Биттара Молина, NDSU)
Заражение другими организмами клубневой гнили, такими как бактерии мягкой гнили, розовая гниль или протечка, часто может использовать пораженные фитофторозом участки в качестве носителей инфекции и часто прогрессирует быстрее, чем P. infestans, что затрудняет диагностику.
Положительная идентификация фитофтороза может быть произведена путем микроскопического исследования образцов спорообразования с инфицированных листьев или клубней.Идентификация неспорулирующих образцов и идентификация генотипов фитофтороза может быть проведена с помощью полимеразной цепной реакции, обычно называемой ПЦР. Эта услуга доступна в NDSU.
Документально подтверждено, что некоторые генотипы фитофтороза обладают устойчивостью к фунгициду мефеноксаму / металаксилу. Когда фитофтороз подтвержден, определение генотипа фитофтороза необходимо для обеспечения эффективных химических обработок. Свяжитесь с местной службой поддержки для получения актуальной информации о генотипах фитофтороза, устойчивых к фунгицидам.
Цикл болезни
P. infestans, вызывающий фитофтороз, представляет собой гетероталлический грибковый патоген, что означает, что для полового размножения необходимы два типа спаривания, которые обозначаются как A1 и A2. Возбудитель — облигатный паразит, который не может выжить без живого хозяина.
Однако в некоторых регионах мира, где присутствуют оба типа спаривания патогена, образуется половая спора, способная выжить в почве. Хотя окончательно выживание почвы в U.S., неофициальные данные указывают на то, что произошло половое слияние, что предполагает возможность выживания в почве.
Зараженные клубни картофеля являются основным источником инокулята для P. infestans. Сюда входят картофель на хранении, зараженные клубни, пропущенные во время сбора урожая, которые остаются незамороженными в течение зимы (добровольцы), семенные клубни и зараженные кучи выбраковки, а также P. infestans на других растениях-хозяевах. Патоген может передаваться от инфицированных семенных клубней к недавно появившимся растениям картофеля (Рис. 11) , где он производит переносимые по воздуху споры, которые могут перемещаться на соседние растения.
Рис. 11. Семена, пораженные фитофторозом, часто разлагаются, но могут продвигаться вверх по семенам в стебель. (любезно предоставлено Д. Инглисом; перепечатано из Schumann and D’Arcy, 2000)
Шуман, Г. Л., и Д’Арси, К. Дж. 2000. Фитофтороз картофеля и томатов. Инструктор по охране здоровья растений. Американское фитопатологическое общество. DOI: 10.1094 / PHI-I-2000-0724-01
Возбудителю фитофтороза благоприятствует свободная влажность и низкие или умеренные температуры. Ночная температура от 50 до 60 F и дневная температура от 60 до 70 F наиболее благоприятны для развития болезни.Свободная вода от дождя, росы и дождевания с помощью дождевальных машин обеспечивает воду, необходимую для заражения и развития патогенов.
Споры развиваются в течение трех-пяти дней, и для заражения требуется 12 часов свободной влаги. Поражения на листьях и стеблях становятся видимыми в виде небольших пятен в течение нескольких дней после заражения.
Поражения расширяются до пропитанных водой серо-зеленых участков на листе и образуют споры при благоприятных условиях. Споры переносятся ветром и дождем к здоровым растениям, где цикл болезни начинается снова.Цикл болезни может происходить каждые пять-семь дней, что приводит к быстрому распространению и перемещению фитофтороза.
Клубни заражены спорами, смытыми с пораженных участков в почву. Споры прорастают и попадают в клубни в свободной воде и поражают в первую очередь глаза. Инфекция клубней характеризуется появлением пятен от коричневого до пурпурного цвета на кожуре картофеля. На разрезе чуть ниже кожуры обнаруживается темная, красновато-коричневая, сухая пробковая гниль.
Менеджмент
Эффективная борьба с этой болезнью требует внедрения комплексного подхода к ведению болезни.Фитофтороз — это болезнь сообщества, и эффективное лечение требует управления сообществом. Вот методы, которые помогут контролировать болезнь:
- Уничтожить весь отбракованный и добровольный картофель.
- Посадить безфузочные семенные клубни.
- Не смешивайте партии семян, потому что срезание может передать фитофтороз.
- Используйте фунгициды для обработки семян, обозначенные для борьбы с фитофторозом (текущий список фунгицидов можно найти в «Руководстве по фунгицидам» NDSU, PP622). Рекомендуемые обработки семян включают Revus, Reason и mancozeb.
- Избегайте засаживания проблемных участков, которые могут оставаться влажными в течение длительного времени или которые трудно обрабатывать (центр оси, вдоль линий электропередач и линий деревьев).
- Избегайте чрезмерного и / или ночного полива.
- Устраните источники инокулята, такие как виды мохнатых сорняков паслена и картофель-добровольцев.
- Регулярно проводите разведку полей, особенно на низких, влажных участках, вдоль линий деревьев, в центре опоры и на других участках, которые остаются влажными в течение более длительных периодов времени, где сначала может возникнуть фитофтороз.
- Регулярно и непрерывно используйте фунгициды для листьев. Если фитофтороз присутствует, только обработка листьев фунгицидами может управлять фитофторозом в поле. (Текущий список фунгицидов можно найти в «Руководстве по фунгицидам» NDSU, PP622).
- Будьте в курсе прогнозов фитофтороза. В нашем регионе линия по борьбе с фитофторозом NDSU работает в течение вегетационного периода и предоставляет еженедельные обновления и прогнозы по фитофторозу.
- Быстро уничтожить очаги фитофтороза.
- Полностью уничтожьте лозы за две-три недели до сбора урожая.
- Обработка картофеля фосфорной кислотой после сбора урожая и перед складированием может предотвратить заражение и распространение фитофтороза при хранении.
- Следите за фитофторозом помидоров, выращиваемых в домашних условиях и на рынках поблизости от вас. Фитофтороз может переместиться из этих местных источников на картофельные поля.
Май 2017
.
Фитофтороз томатов и картофеля
Факты
- Фитофтороз — потенциально разрушительное заболевание томатов и картофеля, поражающее листья, стебли и плоды томатов.
- Болезнь быстро распространяется по полям и при отсутствии лечения может привести к полному неурожаю.
- Фитофтороз картофеля стал причиной картофельного голода в Ирландии в конце 1840-х годов.
Хозяин и патоген
Фитофтороз поражает листья, стебли и плоды.
Фитофтороз вызывается оомицетом Phytophthora infestans .Оомицеты — это грибоподобные организмы, также называемые водяной плесенью, но это не настоящие грибы.
Существует множество различных штаммов P. infestans . Они называются клональными линиями и обозначаются числовым кодом (например, US-23). Многие клональные линии влияют как на помидоры, так и на картофель, но некоторые линии специфичны для одного хозяина или другого.
Диапазон хозяев обычно ограничен картофелем и помидорами, но паслен волосатый ( Solanum physalifolium ) является близкородственным сорняком, который может легко инфицироваться и способствовать распространению болезни.В идеальных условиях, например в теплице, петуния тоже может заразиться.
Идентификационный номер
Признаки и симптомы
Заражение листьев — большие коричневые пятна с зеленовато-серым краем
- На листьях большие темно-коричневые пятна с зеленовато-серым краем; не ограничен крупными жилками листа.
- Инфекция распространяется через листочки и черешки, в результате чего образуются большие участки сухой коричневой листвы.
- Стеблевые инфекции твердые, темно-коричневые с закругленными краями.
- Прочные темно-коричневые круглые пятна, покрывающие большую часть плодов. Пятна могут стать мягкими из-за вторжения вторичных бактерий.
- В условиях высокой влажности на пораженных листьях, плодах и стеблях появляются тонкие порошкообразные белые грибковые образования. Зараженные плоды имеют сухую коричневую гниль При высокой влажности на инфицированных плодах, листьях и стеблях образуются порошкообразные белые споры
- В прохладную влажную погоду целые поля становятся коричневыми и увядают, как от мороза.
Окружающая среда
- Больше всего распространяется в прохладную (от 60 ° F до 70 ° F) влажную погоду.
- Продолжительные жаркие засушливые дни могут остановить распространение патогенов.
Биология и цикл болезней
Phytophthora infestans может перезимовать в Миннесоте, если он защищен кучами для выбраковки картофеля. Перезимовка в системе выращивания томатов маловероятна, но зараженные плоды томатов могут дать начало зараженным всходам добровольцев в следующем сезоне.
Наиболее распространенными путями заноса каждый сезон являются зараженные семенные клубни картофеля, инфицированные трансплантаты томатов, доставленные из других регионов, или спорангии, унесенные ветром (бесполые споры) с юга.
В прохладных влажных условиях P. infestans может инфицировать и производить тысячи спорангиев на поражение менее чем за пять дней. Эти спорангии легко переносятся воздухом, что приводит к обильному распространению возбудителя.
Заболевание потенциально может уничтожить целые поля за короткий период времени, если не лечить. Также вероятно распространение на другие поля на большие расстояния, особенно в пасмурную погоду.
Менеджмент
Устойчивые сорта
Даже устойчивый сорт проявляет некоторые симптомы фитофтороза, когда условия очень благоприятны для болезни.Уровни устойчивости различаются между сортами и могут быть более или менее эффективными в зависимости от присутствующей клональной линии P. infestans . Ниже перечислены несколько устойчивых разновидностей. Проверьте каталоги семян и веб-страницу Cornell vegMD на предмет новых сортов, устойчивых к фитофторозу.
Сорта томатов, устойчивые к фитофторозу: Mountain Magic (F1), Plum Regal (F1), Defiant PhR (F1), Mountain Merit (F1), Iron Lady (F1), Jasper (F1), Red Pearl (F1), Legend, Matt’s Wild Cherry, Wapsipinicon Peach, Lemon Drop, Pruden’s Purple
Культурный контроль
- Уничтожьте груды отбракованного картофеля до начала вегетационного периода, закопав их, разложив и заделав на поля или скармливая животным.
- Контролировать всходы картофеля-добровольцев, так как инфицированные растения могут расти из инфицированных клубней.
- Заражение семян коммерчески подготовленных семян томатов или сохраненных семян, которые были тщательно высушены, маловероятно.
- Перед покупкой и / или посадкой проверьте пересадку томатов на наличие симптомов фитофтороза, так как пересадки томатов, отправленные из южных регионов, могут быть инфицированы.
- Если инфекция обнаружена только на нескольких растениях в пределах поля, инфицированные растения следует удалить, отсеять, убить гербицидом или уничтожить пламенем, чтобы избежать распространения по всему полю.
Химический контроль
Доступны фунгициды для борьбы с фитофторозом томатов. Фитофтороз случается в Миннесоте не каждый год. Производители должны следить за симптомами фитофтороза при регулярном осмотре, особенно при погодных условиях, благоприятствующих болезни. Сообщения о региональных вспышках фитофтороза можно найти на сайте USAblight.
Обработка фунгицидами должна производиться до заражения, когда условия окружающей среды благоприятствуют наиболее эффективному заболеванию. Phytophthora infestans — это водная плесень, а не настоящий гриб. Необходимо использовать фунгициды, специфичные для водных форм, и повторять нанесение в соответствии с инструкциями на этикетке. Текущий список фунгицидов для борьбы с фитофторозом можно найти в Руководстве по производству овощей Среднего Запада. Вращайте фунгицидные группы и / или фунгициды в баковой смеси, чтобы избежать образования устойчивых к фунгицидам изолятов.
Поскольку развитие фитофтороза очень сильно зависит от погоды, были разработаны компьютерные программы прогнозирования болезней, такие как TOM-CAST, чтобы определить, когда патоген наиболее активен.Программа использует данные о температуре, влажности и осадках с метеостанции. Программа определит необходимость применения фунгицида. Использование этой системы вместо простого применения фунгицидов каждые 7 дней может сэкономить несколько опрыскиваний фунгицидами за сезон, при этом обеспечивая хороший контроль над болезнями.
Анна Джонсон; Мишель Грабовски, педагог-консультант, и Анжела Оршински, патолог-консультант
.
Как избежать фитофтороза
Судя по количеству запросов и восторженных отзывов о картофеле, которые мы получаем здесь, в GrowVeg, вы явно без ума от этих совершенно вкусных клубней! И я не виню вас — их легко выращивать, и нет ничего более приятного, чем выкопать эти самородки добра из почвы во время сбора урожая. Я говорю: сила картофеля!
Проблема в том, что картофель известен одной особенно разрушительной болезнью: фитофторозом.К сожалению для нас, как и все хорошие болезни, упадок сил имеет привычку развиваться так же быстро, как и попытки селекционеров перехитрить его, всегда оставаясь на шаг впереди всех.
Симптомы и распространение
Фитофтороз картофеля вызывается грибком, имеющим латинское название Phytophthora infestans . Его симптомы безошибочны: на листьях появляются небольшие коричнево-черные пятна, часто окруженные бледным ореолом, а нижняя сторона листьев может приобретать белый опушенный вид во влажную погоду — это гифы, которыми колонизирует гриб.Упадок может распространяться с впечатляющей скоростью, вызывая полное опадение листвы в течение нескольких коротких дней. В тяжелых случаях подземные клубни могут инфицироваться, что приводит к появлению впалых пятен и коричневой гнили. Обычно это приводит к вторичному заражению другими бактериями и грибками, которые вызывают неприятный запах, поскольку ценный картофель превращается в кашицеобразную массу.
Инфекция достигает пика в «периоды Смита», определяемые как два последовательных дня, когда температура не опускается ниже 10 ° C (50 ° F), а влажность остается выше 90 процентов в течение большей части дня.Споры могут проникнуть буквально за много миль, поэтому попытки остановить споры, не достигающие ваших растений, бесполезны.
Заражение в идеальных условиях почти гарантировано, если реципиентные листья влажные, что позволяет эффективно переносить вредные споры в сосудистую систему растения. Если случится дождь, то споры пораженной гнилой листвы будут капать на почву, чтобы проложить себе путь к этим драгоценным клубням.
Что делать
Вы можете многое сделать, чтобы избежать заражения в первую очередь, но если он внезапно наступит, первая задача — сохранять спокойствие — пока не паникуйте! Вырежьте инфекцию, если вы, возможно, заразились ею в самый последний момент.Между срезами протирайте лезвия секатора моющим средством, чтобы случайно не передать болезнь с растения на растение. Затем молитесь о сухой погоде.
Боюсь, что если заражено более 10% листвы, вам придется полностью срезать листву, поскольку это точка невозврата. Это однозначно остановит дальнейший рост клубней под землей, но в равной степени остановит болезнь на своем пути (если оставить ее в покое, она неизбежно уничтожит весь урожай). После удаления листвы подождите три недели, прежде чем выкопать клубни.К этому времени у них образуется более толстая кожица, и они будут готовы к хранению, в то время как любые скрытые споры фитофтороза должны погибнуть. Тщательно осмотрите клубни на предмет каких-либо признаков бактериального ожога, выбрасывая все, что подорвалось. Просушите здоровые клубни (никогда, никогда не мойте их чистыми!) Перед хранением в прохладном, темном и сухом месте.
Зараженная листва подходит для компостирования в процветающей компостной куче. Закопайте листву среди другого материала и поддерживайте плавный процесс компостирования, поворачивая материал, чтобы он оставался горячим.Споры не будут оставаться активными долго, поэтому вероятность того, что готовый компост заразит новое поколение почв, чрезвычайно мала. Однако споры могут перезимовать на картофеле, поэтому держите зараженные клубни подальше от компостной кучи.
Предотвращение ожога
Моя бабушка всегда говорила мне, что профилактика лучше, чем лечение, поэтому идеальное решение — полностью обойти болезнь. Для этого есть план, состоящий из трех частей: выращивание вне периода опасности фитофтороза, выбор устойчивых к фитофторозу сортов и тщательное выращивание и соблюдение гигиены.
Выращивание вне опасного периода : Картофель сгруппирован по дате посадки и времени, которое требуется для достижения времени сбора урожая. Самые ранние и поздние побеги располагаются в следующем порядке: первые самые ранние, вторые ранние и основные культуры. Если начать вегетацию достаточно рано, большинство ранних сортов и некоторые из наиболее рано созревающих основных культур будут собирать задолго до разгар лета, когда возрастет риск возникновения фитофтороза. Одна из идей, гарантирующих вывоз картофеля до наступления периода фитофтороза, заключается в том, чтобы посадить мешки с почвой для выращивания картофеля под укрытием ранней весной, позаботившись о защите от мороза, перед тем, как вынести их на улицу к концу весны.Это почти наверняка даст урожай к началу лета. См. Мою запись в блоге о выращивании картофеля в контейнерах, чтобы узнать больше об этом.
Устойчивые к фитофторозу сорта : Некоторые сорта демонстрируют разумную устойчивость к фитофторозу. Однако это постоянно меняющаяся картина, поскольку разновидности, некогда устойчивые к падению, восприимчивы к постоянно адаптирующимся грибкам. Выберите сорт, который известен устойчивой листвой и клубнями. Подходящие сорта включают сорта «Сарпо», такие как «Сарпо Мира» или «Сарпо Аксона».Садовникам из Северной Америки также стоит обратить внимание на Defender.
Техника выращивания и гигиена : Сажайте только свежий, сертифицированный, свободный от болезней семенной картофель. Сохранение собственных клубней — это ложная экономия, и она значительно улучшает шансы появления упадка и других болезней.
При поливе в засушливую погоду нанесите воду на основание растений, чтобы предотвратить намокание листьев. Делайте это утром, чтобы влага, оставшаяся на листве, испарилась в теплый день.Выделите время, чтобы правильно окучить и мульчировать органическими веществами, чтобы удержать влагу на уровне земли. Очень толстая мульча, например соломой, позволит спорам, падающим на поверхность почвы, пройти гораздо дальше, изолируя развивающиеся клубни от инфекции.
Никогда не позволяйте волонтерам картофеля — растениям, выросшим из старых клубней — оставаться . Убирайте их, чтобы случайно не переносить проблемы из года в год. В том же духе убедитесь, что вы собираете все до последнего картофеля во время сбора урожая.Это не даст чуму спрятаться зимой или в неактивные периоды.
Все вышеперечисленное может показаться военной операцией, и в большинстве случаев вы, вероятно, вообще не заболеете. Но предупрежден — значит вооружен небольшими знаниями и осторожным выращиванием; нет причин, по которым фитофтороз картофеля может когда-либо ослабить ваши усилия.
Бенедикт Ванхимс.
Фотографии предоставлены: Томпсон и Морган, Кай Хендри и Скот Нельсон
.
Что такое фитофтороз? (с иллюстрациями)
Фитофтороз — это термин, который может относиться к одной из двух болезней картофеля. Фитофтороз вызывается Oomycete Phytophthora infestans , организмом, который раньше считался грибком, но теперь считается, что он связан с водорослями. Это печально известное заболевание растений, ответственное за картофельный голод в Ирландии, который привел к массовой гибели людей в 1840-х годах. Ранний фитофтороз вызывается грибом Alternaria solani . Обе эти болезни растений также могут поражать помидоры и других представителей семейства пасленовых.
Картофель.
Из всех болезней картофеля фитофтороз является наиболее разрушительным. Это наиболее разрушительно во влажных, прохладных районах, таких как некоторые части Северной Америки, Китая и Западной Европы. Целые поля могут быть уничтожены в течение недели или двух при подходящих погодных условиях.Картофель может легко заразиться и загнить позже при хранении, даже если в поле есть лишь небольшое количество болезней.
Севооборот может помочь предотвратить заражение картофелем.
Фитофтороз — такое серьезное заболевание растений, что несколько стран рассматривают возможность его использования в качестве биологического оружия для уничтожения продовольственных запасов страны.Ущерб, который может вызвать фитофтороз, был продемонстрирован ирландским картофельным голодом 1840-х годов. Ирландские фермеры стали полагаться на картофель как на основной источник пищи, и когда погода стала холодной и влажной, заражение картофельным ожогом полностью уничтожило урожай картофеля. Подсчитано, что 1,5 миллиона ирландцев умерли от голода, и столько же эмигрировали, спасаясь от голода, в основном в Соединенные Штаты.
Первоначальные симптомы на растениях — пятна по краям листьев, которые увеличиваются и становятся пораженными участками.Если погода влажная, под листьями образуется белая плесень, а фитофтороз распространяется и уничтожает все листья. При продолжающейся влажной погоде все надземные части растения загнивают. Болезнь может прекратиться, если погода станет сухой, и возобновится, если влажные условия вернутся.
Фунгициды следует использовать, когда условия благоприятствуют заражению фитофторозом.Картофель, оставшийся в конце сезона, следует уничтожить, так как он может служить убежищем для возбудителя. В конце сезона любые надземные части растения следует опрыскать гербицидом, чтобы они не выступили источником фитофтороза. Идеально использовать устойчивые сорта картофеля, но многие популярные сорта тоже восприимчивы. Следует использовать только семенной картофель, который сертифицирован как свободный от возбудителя фитофтороза.
Существует много разных рас Phytophthora infestans , которые различаются по типам картофеля, на которые они будут нападать.Эта ситуация осложнилась с распространением дополнительного, брачного типа. Теоретически этот возбудитель может размножаться как половым, так и бесполым путем. Однако во всем мире размножение было бесполым. Не было генетической рекомбинации, чтобы облегчить производство новых штаммов.
Для полового размножения требовался дополнительный тип спаривания.Этот тип спаривания был обнаружен только в Мексике до 1980-х годов. Теперь он распространяется по всему миру. Это не только означает, что половое размножение может привести к появлению новых штаммов и новых форм агрессивных патогенов, но и образовавшиеся половые споры могут сохраняться в почве в течение многих лет. Это затрудняет меры борьбы, так как бесполая форма требует живой ткани и не может выжить в почве.
Ранняя болезнь, другая форма фитофтороза картофеля, вызываемая Alternaria solani , как правило, является менее разрушительным заболеванием.Хотя это грибковое заболевание обычно присутствует везде, где выращивают картофель, это грибковое заболевание редко вызывает потери, превышающие 20%, если его не оставить без контроля. Несмотря на свое название, он обычно вызывает болезни на зрелых листьях. В одних регионах наиболее серьезной проблемой является заражение листьев, в других — более серьезная проблема — заражение клубней.
Признаки ранней фитофтороза на листьях легко различить: они включают серию темных концентрических кругов, чередующихся с полосами коричневой ткани листьев.К концу вегетационного периода поражения могут объединиться и покрыть большую часть листа. Если поражение листьев и стеблей серьезное, это увеличивает вероятность потери урожая и возможного заражения клубней.
Применение фунгицидов для листьев — наиболее распространенное и эффективное средство борьбы.Опрыскивание не нужно начинать сразу после цветения или при первых признаках болезни. Восприимчивых сортов следует избегать в регионах, где распространена болезнь. Грибок зимует в почве, поэтому чередование различных культур может помочь предотвратить заражение, равно как и вспашка под растительные отходы осенью.
.
Фитофтороз картофеля — Публикации
Основным хозяином является картофель, но P. infestans также может инфицировать другие пасленовые растения, включая томаты, петунии и паслен волосатый, которые могут служить источником инокулята для картофеля.
В Северной Америке фитофтороз сохраняется в межсезонье на зараженных семенных клубнях, кучах отбраковки и на самосевных растениях. Знание симптомов и цикла болезни этого быстро разрушающего заболевания необходимо для реализации вариантов лечения.
Симптомы
Первые симптомы фитофтороза в поле — маленькие, от светло- до темно-зеленого цвета, круглые или неправильной формы, пропитанные водой пятна. (Рис. 1) .Эти поражения обычно сначала появляются на нижних листьях. Поражения часто начинают развиваться у кончиков или краев листьев, где роса сохраняется дольше всего.
Рис. 1. Первоначальные симптомы фитофтороза представляют собой небольшие пятна от светло- до темно-зеленого цвета, круглые или неправильной формы, пропитанные водой. (Энди Робинсон, NDSU / Университет Миннесоты)
В прохладную влажную погоду эти поражения быстро разрастаются в большие темно-коричневые или черные поражения, часто выглядящие жирными. (Рис. 2) .Поражения листьев также часто окружены желтым хлоротическим ореолом (рис. 3) .
Рис. 2. Поражения от фитофтороза быстро разрастаются в большие, темно-коричневые или черные поражения, часто выглядящие жирными. (Энди Робинсон, NDSU / Университет Миннесоты)
Рис. 3. Поражения листьев часто окружены желтым хлоротичным ореолом. (Энди Робинсон, NDSU / Университет Миннесоты)
Поражения не ограничиваются жилками листьев, и по мере появления новых инфекций и слияния существующих инфекций целые листья могут испортиться и погибнуть всего за несколько дней.Поражения также могут присутствовать на черешках и стеблях растения (Рисунок 4) .
Рис. 4. Фитофтороз может присутствовать на черешках и стеблях растения, особенно в новообразованиях, где сохраняется влага. (Энди Робинсон, NDSU / Университет Миннесоты)
Во время активного роста, особенно в прохладную влажную погоду, на краю поражений (Рисунок 5) или вдоль черешков (Рисунок 6) видна область с белой плесенью.Это та область, где возбудитель фитофтороза активно продуцирует споры. Когда погода меняется на теплые и сухие, эти поражения становятся сухими, перестают образовывать споры и приобретают коричневый оттенок (Рисунок 7) .
Рис. 5. Во время активного роста фитофтороза, особенно в прохладную влажную погоду, на краях поражений видна область с белой плесенью. (Юджиния Бэнкс, Министерство сельского хозяйства и продовольствия Онтарио)
Рис. 6. Активно растущий фитофтороз может вызвать появление белой плесени на черешках. (Нил Гудместад, NDSU)
Рис. 7. Коричневые, сухие поражения могут развиться в теплую и сухую погоду. (Нил Гудместад, NDSU)
Поражения часто окружает бледно-зеленая или желтая кайма. Сильно зараженные поля часто имеют отчетливый запах.
Фитофтороз клубней характеризуется наличием участков неправильной формы, слегка вдавленных, которые могут значительно варьироваться от коричневых до пурпурных различного размера на кожуре (Рис. 8) .Эти симптомы могут быть менее очевидными для краснокожих и краснокожих сортов.
Рис. 8. Фитофтороз клубней характеризуется наличием участков неправильной формы, слегка вдавленных, которые могут значительно варьироваться от коричневых до пурпурных различного размера на кожуре. (Юджиния Бэнкс, Министерство сельского хозяйства и продовольствия Онтарио)
Сухая зернистая гниль от желтовато-коричневого до красновато-коричневого цвета обнаруживается под кожицей на обесцвеченных участках и распространяется на клубень, обычно менее ½ дюйма. (Рисунок 9) .Степень гниения клубня зависит от восприимчивости сорта, температуры и продолжительности времени после первоначального заражения.
Рис. 9. Фитофтороз вызывает от коричневого до красновато-коричневого цвета гниль, находящуюся под кожицей. (Джефф Миллер, Miller Research LLC).
Край пораженной ткани не всегда отчетлив, но может быть, особенно у семенного картофеля, который хранился при температуре холодного хранения (Рис. 10) . Однако граница между тканью, инфицированной фитофторозом, и здоровой тканью часто отмечается коричневым пальцеобразным выступом в здоровой мякоти клубня.
Рис. 10. Край пораженной ткани не всегда отчетлив, но может быть отчетливым, особенно в семенном картофеле, который хранился при низких температурах. (Франсиско Биттара Молина, NDSU)
Заражение другими организмами клубневой гнили, такими как бактерии мягкой гнили, розовая гниль или протечка, часто может использовать пораженные фитофторозом участки в качестве инфекционных судов и часто прогрессирует быстрее, чем P. infestans, что затрудняет диагностику.
Положительная идентификация фитофтороза может быть произведена путем микроскопического исследования образцов спорулирующих инфицированных листьев или клубней.Идентификация неспорулирующих образцов и идентификация генотипов фитофтороза может быть проведена с помощью полимеразной цепной реакции, обычно называемой ПЦР. Эта услуга доступна в NDSU.
Документально подтверждено, что некоторые генотипы фитофтороза обладают устойчивостью к фунгициду мефеноксаму / металаксилу. При подтверждении фитофтороза определение генотипа фитофтороза необходимо для обеспечения эффективных химических обработок. Свяжитесь с местной службой поддержки для получения актуальной информации о генотипах фитофтороза, устойчивых к фунгицидам.
Цикл болезни
P. infestans, вызывающий фитофтороз, представляет собой гетероталлический грибковый патоген, что означает, что для полового размножения необходимы два типа спаривания, которые обозначаются как A1 и A2. Возбудитель — облигатный паразит, который не может выжить без живого хозяина.
Однако в некоторых регионах мира, где присутствуют оба типа спаривания патогена, образуется половая спора, способная выживать в почве. Хотя окончательно выживание почвы в U.S., неофициальные данные указывают на то, что произошло половое слияние, что позволяет предположить, что выживание в почве возможно.
Зараженные клубни картофеля являются основным источником инокулята P. infestans. Сюда входят картофель на хранении, зараженные клубни, пропущенные во время сбора урожая, которые остаются незамороженными в течение зимы (добровольцы), семенные клубни и инфицированные груды выбраковки, а также P. infestans на других растениях-хозяевах. Патоген может передаваться от инфицированных семенных клубней к недавно появившимся растениям картофеля (Рис. 11) , где он производит переносимые по воздуху споры, которые могут перемещаться на соседние растения.
Рис. 11. Семена, пораженные фитофторозом, часто разлагаются, но могут продвигаться вверх по семенам в стебель. (любезно предоставлено Д. Инглисом; перепечатано из Schumann and D’Arcy, 2000)
Шуман, Г. Л., и Д’Арси, К. Дж. 2000. Фитофтороз картофеля и томатов. Инструктор по охране здоровья растений. Американское фитопатологическое общество. DOI: 10.1094 / PHI-I-2000-0724-01
Возбудителю фитофтороза благоприятствует свободная влажность и низкие или умеренные температуры. Ночная температура от 50 до 60 F и дневная температура от 60 до 70 F наиболее благоприятны для развития болезни.Бесплатная вода от дождя, росы и дождевания с помощью дождевальных оросителей обеспечивает воду, необходимую для заражения и развития патогенных микроорганизмов.
Споры развиваются в течение трех-пяти дней, и для заражения требуется 12 часов свободной влаги. Поражения на листьях и стеблях становятся видимыми в виде небольших пятен в течение нескольких дней после заражения.
Поражения расширяются до пропитанных водой серо-зеленых участков на листе и образуют споры при благоприятных условиях. Споры переносятся ветром и дождем к здоровым растениям, где цикл болезни начинается снова.Цикл болезни может происходить каждые пять-семь дней, что приводит к быстрому распространению и перемещению фитофтороза.
Клубни заражены спорами, смытыми с пораженных участков в почву. Споры прорастают и попадают в клубни в свободной воде и поражают в первую очередь глаза. Инфекции клубней характеризуются пятнами от коричневого до пурпурного цвета на кожуре картофеля. На разрезе чуть ниже кожуры обнаруживается темная, красновато-коричневая, сухая пробковая гниль.
Менеджмент
Эффективная борьба с этой болезнью требует внедрения комплексного подхода к ведению болезни.Фитофтороз — это болезнь сообщества, и эффективное лечение требует управления сообществом. Вот методы, которые помогут контролировать болезнь:
- Уничтожьте весь отбракованный и добровольный картофель.
- Посадить семена без фитофтороза.
- Не смешивайте партии семян, потому что срезание может передать фитофтороз.
- Используйте фунгициды для обработки семян, помеченные для борьбы с фитофторозом (текущий список фунгицидов можно найти в «Руководстве по фунгицидам» NDSU, PP622). Рекомендуемые обработки семян включают Revus, Reason и mancozeb.
- Избегайте посадки проблемных участков, которые могут оставаться влажными в течение длительного времени или которые трудно обрабатывать (центр оси, вдоль линий электропередач и линий деревьев).
- Избегайте чрезмерного и / или ночного полива.
- Устраните источники инокулята, такие как виды мохнатых сорняков паслена и картофель-добровольцев.
- Регулярно проводите разведку полей, особенно на низких, влажных участках, вдоль линий деревьев, в центре опоры и на других участках, которые остаются влажными в течение более длительных периодов времени, где вначале может возникнуть фитофтороз.
- Регулярно и непрерывно используйте фунгициды для листьев. При появлении фитофтороза на полях с фитофторозом можно справиться только с помощью фунгицидов для листвы. (Текущий список фунгицидов можно найти в «Руководстве по фунгицидам» NDSU, PP622).
- Будьте в курсе прогнозов фитофтороза. В нашем регионе линия по борьбе с фитофторозом NDSU работает в течение вегетационного периода и предоставляет еженедельные обновления и прогнозы по фитофторозу.
- Быстро уничтожить очаги фитофтороза.
- Полностью уничтожьте лозы за две-три недели до сбора урожая.
- Обработка картофеля фосфорной кислотой после сбора урожая и перед складированием может предотвратить заражение и распространение фитофтороза при хранении.
- Следите за фитофторозом ближайших к вам домашних огородных и рыночных помидоров. Фитофтороз может переместиться из этих местных источников на картофельные поля.
Май 2017 г.
Фитофтороз томатов и картофеля
Факты
- Фитофтороз — потенциально разрушительное заболевание томатов и картофеля, поражающее листья, стебли и плоды томатов.
- Болезнь быстро распространяется по полям и при отсутствии лечения может привести к полному неурожаю.
- Фитофтороз картофеля стал причиной картофельного голода в Ирландии в конце 1840-х годов.
Хозяин и возбудитель
Фитофтороз поражает листья, стебли и плоды
Фитофтороз вызывается оомицетом Phytophthora infestans . Оомицеты — это грибковые организмы, также называемые водяными плесневыми грибами, но они не являются настоящими грибами.
Существует множество различных штаммов P.Инна . Они называются клональными линиями и обозначаются числовым кодом (например, US-23). Многие клональные линии влияют как на помидоры, так и на картофель, но некоторые линии специфичны для одного хозяина или другого.
Диапазон хозяев обычно ограничен картофелем и томатом, но паслен волосатый ( Solanum physalifolium ) является близкородственным сорняком, который может легко инфицироваться и способствовать распространению болезни. В идеальных условиях, например в теплице, петуния тоже может заразиться.
Идентификационный номер
Признаки и симптомы
Инфекция на листьях — большие коричневые пятна с зеленовато-серым краем
- На листьях большие темно-коричневые пятна с зеленовато-серым краем; не ограничен крупными жилками листа.
- Инфекция распространяется через листочки и черешки, в результате чего образуются большие участки сухой коричневой листвы.
- Стволовые инфекции твердые, темно-коричневые с закругленными краями.
- Прочные темно-коричневые круглые пятна, покрывающие большую часть плодов.Пятна могут стать мягкими из-за вторжения вторичных бактерий.
- В условиях высокой влажности на пораженных листьях, плодах и стеблях появляется тонкий белый грибковый росток порошкообразного цвета.
Зараженные плоды имеют сухую коричневую гниль
При высокой влажности на инфицированных плодах, листьях и стеблях образуются порошкообразные белые споры - В прохладную влажную погоду целые поля становятся коричневыми и увядают, как от мороза.
Окружающая среда
- Максимально распространяется в прохладную (от 60 ° F до 70 ° F) влажную погоду.
- Продолжительные жаркие засушливые дни могут остановить распространение болезнетворных микроорганизмов.
Биология и цикл болезней
Phytophthora infestans может перезимовать в Миннесоте, если он защищен кучами для выбраковки картофеля. Зимовка в системе выращивания томатов маловероятна, но инфицированные плоды томатов могут дать начало зараженным всходам добровольцев в следующем сезоне.
Наиболее распространенными путями заноса в каждый сезон являются зараженные семенные клубни картофеля, инфицированные трансплантаты томатов, доставленные из других регионов, или спорангии, переносимые ветром (бесполые споры) с юга.
В прохладных влажных условиях P. infestans может инфицировать и производить тысячи спорангиев на поражение менее чем за пять дней. Эти спорангии легко переносятся по воздуху, что приводит к обильному распространению возбудителя.
Заболевание потенциально может уничтожить целые поля за короткий период времени, если не лечить. Также вероятно распространение на другие поля на большие расстояния, особенно в пасмурную погоду.
Менеджмент
Устойчивые сорта
Даже устойчивый сорт проявляет некоторые симптомы фитофтороза, когда условия очень благоприятны для болезни.Уровни устойчивости варьируются между сортами и могут быть более или менее эффективными в зависимости от присутствующей клональной линии P. infestans . Ниже перечислены несколько устойчивых разновидностей. Проверьте каталоги семян и веб-страницу Cornell vegMD на предмет новых сортов, устойчивых к фитофторозу.
Сорта помидоров, устойчивые к фитофторозу: Mountain Magic (F1), Plum Regal (F1), Defiant PhR (F1), Mountain Merit (F1), Iron Lady (F1), Jasper (F1), Red Pearl (F1), Легенда, Дикая вишня Мэтта, Персик Вапсипиникон, Капля лимона, Пурпур Прудена
Культурный контроль
- Уничтожьте груды отбраковки картофеля до начала вегетационного периода, закопав их, разложив и заделав на поля или скармливая животным.
- Контролировать растения картофеля-добровольцев, так как инфицированные растения могут расти из инфицированных клубней.
- Заражение семян коммерчески подготовленных семян томатов или сохраненных семян, которые были тщательно высушены, маловероятно.
- Перед покупкой и / или посадкой проверьте пересадку томатов на наличие симптомов фитофтороза, так как трансплантаты томатов, отправленные из южных регионов, могут быть инфицированы.
- Если инфекция обнаружена только на нескольких растениях в пределах поля, инфицированные растения следует удалить, отсеять, уничтожить гербицидом или уничтожить пламенем, чтобы избежать распространения по всему полю.
Химический контроль
Имеются фунгициды для борьбы с фитофторозом томатов. Фитофтороз встречается в Миннесоте не каждый год. Производители должны следить за симптомами фитофтороза во время регулярных обследований, особенно при погодных условиях, благоприятствующих болезни. Сообщения о региональных вспышках фитофтороза можно найти на веб-сайте USAblight.
Обработка фунгицидами должна производиться до заражения, когда условия окружающей среды благоприятствуют наиболее эффективному заболеванию. Phytophthora infestans — это водная плесень, а не настоящий гриб. Необходимо использовать фунгициды, специфичные для водных форм, и повторять нанесение в соответствии с инструкциями на этикетке. Текущий список фунгицидов для борьбы с фитофторозом можно найти в Руководстве по производству овощей Среднего Запада. Чередуйте фунгицидные группы и / или фунгициды в баковой смеси, чтобы избежать образования устойчивых к фунгицидам изолятов.
Поскольку развитие фитофтороза очень сильно зависит от погоды, были разработаны компьютерные программы прогнозирования болезней, такие как TOM-CAST, чтобы определить, когда патоген наиболее активен.Программа использует данные о температуре, влажности и осадках с метеостанции. Программа определит необходимость применения фунгицида. Использование этой системы вместо простого применения фунгицидов каждые 7 дней может сэкономить несколько опрыскиваний фунгицидами за сезон, при этом обеспечивая хороший контроль над болезнями.
Анна Джонсон; Мишель Грабовски, педагог-консультант и Анжела Оршински, патолог
Фитофтороз томатов и картофеля в домашнем саду
Введение
Возбудитель фитофтороза картофеля был впервые описан в 1845 году Монтанем, а в 1847 году — Пайеном во Франции.Однако только в 1863 году ДеБари без сомнения установил, что этот организм, Phytophthora infestans, является причиной фитофтороза. Заболевание встречается во всем мире там, где выращивают помидоры и картофель.
Считается, что фитофтороз возник в Центральной Америке и почти одновременно появился в Европе и Северной Америке примерно в 1830 году. Он произошел во Франции в 1840 году, был разрушительным в Германии в 1841 году и появился в Северной Америке в 1843 году. с 1844 по 1847 год он имел масштабы эпидемии и катастрофы по всей Европе и Северной Америке.Он был непосредственным виновником ирландского картофельного голода 1845 и 1846 годов. С тех пор периодически случались эпидемии, когда погода и другие условия способствовали развитию болезней.
Эпидемия фитофтороза произошла в 1878 году в Англии, в результате чего были уничтожены целые насаждения; 1906, 1927 и 1928 годы в Калифорнии; 1940 г. в Онтарио; 1946 и 1947 годы по всей восточной половине Северной Америки, когда от 80 до 90 процентов первых грядок во Флориде были полностью потеряны, более 50 процентов урожая было потеряно в восточных штатах от Нью-Йорка до Флориды, и 25 процентов урожая было потеряно. в штатах Среднего Запада; 1960 год в Онтарио; и 1976 г. в южной Джорджии и некоторых северных штатах, где использовались инфицированные трансплантаты.
При транспортировке возможны большие потери; Симптомы могут появиться на инфицированных, но бессимптомных плодах томатов в течение 5 дней после сбора урожая. Сообщается, что помимо томатов и картофеля возбудитель фитофтороза поражает также баклажаны и перец, хотя в последнее время случаев не зарегистрировано. Патоген может поражать пасленовые сорняки, такие как сладко-сладкий паслен, а также другие растения того же ботанического семейства (Solanaceae), включая петунии, китайские фонарики и томатиллы.
Подобно сезонному гриппу у людей, существуют различные изоляты (генотипы) возбудителя фитофтороза, которые заражают разных хозяев; поэтому весьма маловероятно, что данный изолят патогена способен инфицировать и вызывать заболевание на всех известных растениях-хозяевах.Генотипы, наиболее распространенные в Пенсильвании и на северо-востоке, могут вызывать заболевание как картофеля, так и томатов, либо обоих. В 2009 году большая часть потерь томатов и некоторые потери картофеля были вызваны относительно новым генотипом US22. Другие потери картофеля были связаны с генотипом US8, который широко распространен и обычно встречается на картофеле ежегодно.
Фитофтороз — не редкость в Пенсильвании. Каждый год происходит несколько подтвержденных вспышек на картофеле и / или томатах на коммерческих полях. Возникновение фитофтороза в 2009 г. было различным по нескольким причинам.Во-первых, это был самый ранний случай, когда заболевание было зарегистрировано в таком обширном регионе страны (северо-восток). К середине июня фитофтороз был подтвержден в нескольких штатах на северо-востоке, включая Пенсильванию. Другой причиной было распространение инфицированных трансплантатов через местные розничные магазины от Огайо до штата Мэн. Никогда еще не было такого широкого распространения растений, пораженных фитофторозом.
Кроме того, прохладные и влажные условия, способствующие развитию болезни, сохранялись на протяжении всего вегетационного периода.Имейте в виду, что для развития болезни патоген (Phytophthora infestans) должен присутствовать в сочетании с восприимчивым хозяином (в первую очередь, томатом, картофелем) и условиями окружающей среды, благоприятными для развития патогена и причинения болезни. Если какой-либо один или несколько из этих компонентов отсутствуют, то фитофтороз не разовьется. В 2009 году все три компонента присутствовали на протяжении всего вегетационного периода.
Симптомы
Симптомы фитофтороза могут развиваться на листьях, стеблях, ветвях, а также на зеленых и спелых плодах; и они очень очевидны невооруженным глазом.На листьях на верхней поверхности появляются пятна от бледно-зеленого до коричневого цвета. Края пятен на листьях часто бледно-зеленые или пропитанные водой. Пятна могут быстро увеличиваться, пока не погибнут целые листочки. Во влажных условиях обычно образуется пушистый белый нарост по краям пятен на нижней стороне листьев. Этот белый нарост содержит споры, которые легко развеваются ветром. При поражении черешков и стеблей части растений, не пораженные фитофторозом, могут быстро засыхать и разрушаться.
Поражения могут быстро разрастаться и привести к обширной, если не полной, дефолиации в течение 14 дней.В сухую погоду пораженные части листвы могут выглядеть сухими и сморщенными. Поражения стебля обычно имеют цвет от коричневого до почти черного.
Плоды томата могут инфицироваться при поражении листвы. На плодах зеленовато-коричневые жирные пятна могут увеличиваться, пока не будет поражен весь плод. Ткань плода сначала остается твердой, с различной глубиной обесцвеченной ткани под кожицей. Во влажную погоду на пораженной гнилью поверхности плодов может появиться белый пушистый нарост. Вторичные организмы могут проникнуть в пораженные плоды и вызвать мягкую гниль.Зараженные плоды могут развиваться прямо на растении или через несколько дней после того, как они сидят на кухонном столе.
Клубни картофеля могут инфицироваться при попадании спор в почву. Пятна фитофтороза на клубнях красновато-коричневые, сухие, зернистые. Эти пятна часто заражаются вторичными патогенами, такими как бактерии, которые могут привести к гниению и размягчению всего клубня.
Хотя незатронутые части плодов томата, вероятно, безопасны для употребления в пищу, не было найдено опубликованных научных исследований по этой конкретной проблеме, подтверждающих этот вывод.Следовательно, потребители должны сами принимать решения о безопасности пищевых продуктов. Вывод о том, что здоровые ткани безопасны для употребления, основан на нескольких моментах. Этот патоген не вырабатывает токсин, вызывающий заболевание, в отличие от некоторых патогенных растений. Патогены растений не могут заразить людей. Не было обнаружено никаких проблем с безопасностью пищевых продуктов при других заболеваниях, поражающих плоды томатов или клубни картофеля. Фитофтороз похож на другие более распространенные заболевания — например, антракноз на плодах томатов и розовая гниль картофеля (который, кстати, вызывается Phytophthora erythroseptica, патогеном, связанным с фитофторозом) — в том, что они действительно по всей видимости, не влияет на растительную ткань за пределами области заражения.
Многие домашние садоводы часто срезают пораженные ткани, а не выбрасывают весь плод или клубень, обнаружив, что их здоровые на вид части приятны на вкус. Однако имейте в виду, что инфекция может создавать условия, в которых другие потенциально опасные вторичные организмы также могут проникать в ткани и расти.
Болезни, такие как фитофтороз и антракноз, не считаются проблемой для здоровья при промышленной переработке томатов, поскольку плоды тщательно сортируются, чтобы удалить больные перед переработкой.Аналогичным образом, для домашнего консервирования в Полном руководстве USDA по домашнему консервированию рекомендуются только здоровые, предпочтительно созревшие в виноградной лозе, твердые томаты, поскольку грибковые патогены могут повышать pH ткани и тем самым способствовать росту потенциально вредных микроорганизмов.
Другие болезни, которые обычно наблюдаются на томатах в это время года, включают пятнистость листьев Septoria и фитофтороз. Фитофтороз также встречается на картофеле. Первоначально симптомы обеих болезней проявляются на самых старых листьях у земли. Ранняя гниль сначала проявляется в виде нерегулярных поражений, в которых образуются концентрические черные кольца, придающие поражению вид, похожий на мишень.Поражения могут иметь или не иметь хлоротичную область вокруг поражения. Пятно на листьях септориоза начинается с маленьких круглых, пропитанных водой пятен, которые имеют границы от черного до коричневого с желто-коричневой до серой середины и испещрены небольшими черными плодовыми телами.
Цикл и развитие болезни
Наиболее важными источниками возбудителя фитофтороза в начале сезона являются инфицированные клубни картофеля и инфицированные пересадки томатов. Зараженные клубни картофеля могут выжить на полях или в хранилищах. Когда зараженный картофель прорастает, патоген может прорасти в росток и образовать споры на поверхности ростка при благоприятных условиях окружающей среды.Производство спор патогеном происходит при температуре от 65 до 70 ° F и относительной влажности около 100 процентов. Споры могут перемещаться ветром на расстояние до 30-40 миль или на небольшие расстояния в росе и брызгах дождя. Выживаемость спор значительно снижается, когда относительная влажность ниже 95 процентов; при относительной влажности 80% они могут прожить всего 5 часов.
После того, как споры приземляются на лист томата (или другого растения-хозяина), должна присутствовать водяная пленка до тех пор, пока инфекция не установится; в противном случае заражение не произойдет.Заражение может произойти в течение нескольких часов в идеальных условиях, а симптомы проявляются в полевых условиях примерно через 5-7 дней после заражения. Вскоре после появления симптомов образуется больше спор, и цикл продолжается. Идеальные условия, способствующие развитию эпидемических заболеваний, которые мы наблюдали в сезоне 2009 г., включают периоды, когда температура опускается до 70 ° F, а относительная влажность повышается до 100 процентов в начале ночи; затем медленное падение температуры в течение следующих 8 часов приводит к образованию росы, которая сохраняется в течение нескольких часов.Если температура превышает 95 ° F, патоген может выжить в живой ткани растения; однако болезнь перестанет прогрессировать, пока условия снова не станут прохладными и влажными.
Лечение фитофтороза
Ежедневно проверяйте свои растения томатов. Вы с большей вероятностью спасете растения в саду, когда первоначально наблюдаются лишь несколько симптомов листвы, погодные условия прогнозируются как жаркие, без дождя или продолжительный период росы (наименее благоприятный для патогена), а вспышки фитофтороза не возникают. поблизости (источники спор).Дальнейшее развитие фитофтороза замедляется путем регулярного удаления пораженных тканей (срезать и мешать ежедневно, предпочтительно в сухой солнечный день) и применения фунгицидов. Обратите внимание: когда симптомы проявляются впервые, все точки заражения еще не видны, и может пройти несколько дней, прежде чем они появятся.
Создайте менее благоприятную среду для патогена, избегая смачивания листьев с помощью верхнего полива или полива в середине утра, чтобы листья быстро сохли. Удалите сорняки в саду, чтобы улучшить циркуляцию воздуха, а также удалите лишние ветки.Это также поможет справиться с другими заболеваниями листовых помидоров и картофеля.
Если растения сильно заражены, будьте готовы уничтожить их. Удалите все растение и выбросьте в мешок для мусора. Если необходимо уничтожить большое количество растений, их можно собрать вместе и положить под брезент на солнце для «запекания» (желательно в жаркий и солнечный день, когда вероятность выживания любых спор, выпущенных в воздух, снижается). Их тоже можно было сжечь. Как только растительная ткань отмирает, патоген больше не может выжить.
Коммерческие производители имеют ряд фунгицидов, которые при раннем и частом применении могут уменьшить распространение фитофтороза. Они предпочли бы не опрыскивать, если бы могли, но эта разрушительная болезнь не оставляет им другого выбора. У домовладельцев действительно есть несколько продуктов, зарегистрированных для использования; наиболее эффективные из них имеют общее название хлорталонил в качестве одного из активных ингредиентов на этикетке продукта. Примерами торговых наименований продуктов являются Daconil, Bonide Fung-onil и Ortho Multi-Purpose Fungicide.Эти продукты эффективны только в том случае, если их использовать до появления болезни, и их следует повторно наносить каждые 5-7 дней, если сохраняется прохладная влажная погода.
Фунгициды, нанесенные на растение, со временем исчезают при биологическом расщеплении или под воздействием солнечного света и / или смыванием дождем или орошением. Хлороталонил — это защитный фунгицид, не вызывающий системных изменений в растении, поэтому необходимо тщательное покрытие. Фунгициды не могут «вылечить» уже появившееся пятно или поражение. Применение меди обычно не так эффективно, как хлороталонил; однако некоторые составы одобрены для использования в системах органического производства, а другие доступны для приусадебных участков под торговыми марками, например, Bonide Liquid Copper Fungicide и Ortho Copper Fungicide.
Другой возможный вариант — продукт на основе манкоцеба. Некоторые примеры включают фунгицид Acme для помидоров, фруктов и овощей, фунгицид для растений Bonide Mancozeb и дитан. Всегда читайте этикетку, чтобы определить, какое защитное снаряжение требуется перед использованием (респиратор, водонепроницаемые перчатки, защитные очки, обувь плюс носки, рубашка с длинными рукавами и длинные брюки), и применяйте все пестициды строго в соответствии с указаниями на этикетке. Эти продукты различаются по количеству дней от внесения до сбора урожая.Если вы решили не опрыскивать растения, внимательно следите за ними и уничтожайте инфицированные ткани, которые могут быть источником спор для соседних садов и коммерческих полей.
Плоды можно собирать рано и созревать на лозе в теплом и сухом месте. Часто проверяйте плоды и откажитесь от любых симптомов. Споры, которые развиваются на инфицированных фруктах, могут распространяться и заразить соседние фрукты.
Борьба с фитофторозом после сбора урожая
Возбудитель фитофтороза является облигатным патогеном, и споры могут выжить только в живой ткани растения.Однако патоген может образовывать специализированную структуру выживания (ооспору), которая позволит ему выжить без живой ткани растения. Это требует, чтобы патоген размножался половым путем, что предполагает два «типа спаривания». Тип спаривания — это термин, используемый для обозначения возбудителя, эквивалентного мужчине и женщине. Ранее оба типа спаривания были обнаружены во Флориде, но не на северо-востоке США. В прошлом сезоне оба типа вязок были обнаружены в Пенсильвании и Вирджинии. Это открытие может затруднить борьбу с фитофторозом, поскольку существует вероятность того, что патоген может образовывать ооспоры, которые остаются в почве.Во Флориде, хотя присутствуют оба типа спаривания, ооспоры пока не обнаружены.
Обработка почвы не является эффективным средством борьбы с фитофторозом; Лучшие меры контроля включают борьбу с источниками распространения болезней. Уничтожьте все груды отбраковки картофеля. Нарежьте зараженный картофель и разложите его по поверхности сада, чтобы он замерз на зиму, или выбросьте его в мусорное ведро. Также не допускайте роста добровольцев картофеля и помидоров, которые могут быть источником возбудителя. Внимательно осмотрите приобретенные трансплантаты на предмет каких-либо симптомов заболевания.Всегда выбирайте самые здоровые и быстрорастущие трансплантаты.
Ни один из сортов томатов или картофеля не обладает полной устойчивостью к фитофторозу. Известно, что некоторые сорта устойчивы к фитофторозу; На этих разновидностях болезнь может развиваться намного медленнее, а иногда и вовсе не развиваться. Для некоторых из этих сортов может быть сложно найти семена.
Сорта картофеля, устойчивые к фитофторозу, включают Кеннебек, Себаго, Аллегани и Жаклин Ли. Сорта томатов, которые, по наблюдениям, менее подвержены фитофторозу, включают Legend и виды вишни, в том числе Matt’s Wild Cherry и Sun Gold Cherry.Недавно выпущенные сорта томатов, устойчивые к фитофторозу, включают Mountain Magic, Plum Regal, Mountain Merit, а также совсем недавно Defiant и Iron Lady. Дополнительные сорта с устойчивостью к фитофторозу находятся в стадии разработки и должны быть доступны для домашних садоводов в ближайшем будущем.
Диагностические услуги
Если вы подозреваете фитофтороз, обратитесь в офис расширения штата Пенсильвания в округе. Персонал может помочь подтвердить диагноз и / или помочь вам отправить образец в Клинику диагностики заболеваний растений штата Пенсильвания в Юниверсити-парке.
Адаптировано и отредактировано Бет К. Гуджино, патологом по выращиванию овощей, и Сарой Р. Мэй, координатором Клиники болезней растений, штат Пенсильвания. Оригинальная статья Алана А. Макнаба, Департамент патологии растений, штат Пенсильвания, июль 2004 г .; выдержки из исследования Мэг МакГрат, Корнельский университет
Дикий картофель, отобранный для службы по борьбе с фитофторозом: USDA ARS
Дикий картофель, обработанный для дежурства по борьбе с фитофторозом
Контактное лицо: Ян Suszkiw
Электронная почта: Янв[email protected]
Дальние родственники культурного картофеля могут стать ключом к открытию новых источников устойчивости к самому разрушительному заболеванию клубнеплодов — фитофторозу.
На это надеется группа ученых Службы сельскохозяйственных исследований (ARS), которые провели лабораторные испытания, в ходе которых они подвергли листья 72 различных видов дикого картофеля спорам возбудителя фитофтороза. Phytophthora infestans — тот же виновник ирландский картофельный голод 1840-х годов.
Фитофтороз остается сегодня во всем мире угрозой не только для картофеля, но и для посевов томатов, ежегодно приводя к потере урожая и затратам на борьбу с ущербом в 6,7 млрд долларов США. У восприимчивых сортов грибоподобный патоген вызывает темные поражения и другие симптомы заболевания, которые быстро разрушают листья, стебли, плоды или клубни растения, — отметил Деннис Хальтерман, генетик растений из Исследовательского отдела овощных культур ARS в Мэдисоне, штат Висконсин.
Там Хальтерман специализируется на генетической «гонке вооружений», в которой растения картофеля участвуют с патогенами, которые атакуют и вызывают отравление, часто вынуждая производителей принимать ответные меры химическими средствами контроля, такими как фунгициды, которые могут увеличить производственные затраты и опасения по поводу ущерба окружающей среде.
В сотрудничестве с ученым ARS Шелли Янски (на пенсии) и научным сотрудником ARS Хари Карки, Хальтерман обратил внимание на труднопроходимых родственников культурного картофеля, произрастающего в диком виде в Центральной и Южной Америке и Мексике, где зародился и одновременно развился фитофтороз. с растением, член семейства пасленовых.
«Хотя большинство диких видов производят небольшой картофель, который вы не захотите есть — они действительно могут вызвать серьезное заболевание — они существуют в суровых природных условиях без удобрений, орошения и пестицидов», — отметил Хальтерман в обучающем видео о своих усилиях.
Научный сотрудник ARS Хари Карки готовится к скрещиванию, чтобы перенести устойчивость к фитофторозу с диких видов на культурный картофель.
Помимо адаптации к разнообразным условиям выращивания, многие виды дикого картофеля обладают мощной защитой от болезней, таких как фитофтороз. Это делает их особенно ценным ресурсом для генов устойчивости, которые могут принести пользу выращиваемым сортам и, в более широком смысле, способствовать мировой продовольственной безопасности.
«Как только мы идентифицируем вид, который обладает устойчивостью, наша цель — передать эту устойчивость в культивируемый картофель, чтобы фермеры могли выращивать здоровые культуры, используя меньше пестицидов», — сказал Хальтерман.
Потребность в новых источниках устойчивости к фитофторозу является постоянной. Отчасти это происходит из-за сверхъестественной способности патогена мутировать в новые варианты, которые могут преодолеть существующие гены сорта картофеля для защиты от болезни. Среди них US-23, наиболее распространенный вариант, циркулирующий в картофеле в США, и NL13316, еще более мощный вариант, который может «нейтрализовать» ценный ген картофеля, известный тем, что придает устойчивость к фитофторозу широкого спектра действия, а именно RB.
Из 72 изученных исследователями видов 12 из них показали высокий уровень устойчивости листьев, который никогда ранее не регистрировался, открывая дверь к совершенно новым механизмам защиты от фитофтороза.
Тем не менее, создание новых сортов картофеля с новыми характеристиками — это длительный процесс, который занимает 10-15 лет, прежде чем они будут готовы к продаже. Но Хальтерман надеется, что с помощью новых подходов, таких как селекция с помощью маркеров, картирование генома и способность клонировать (копировать) и вставлять определенные представляющие интерес гены, ценные черты, такие как устойчивость к фитофторозу, можно будет быстрее и эффективнее передать перспективным новым сортам.
Пять из 12 выдающихся видов, а именно S. agrimonifolium, S.albornozii, S. chomatophilum, S. hypacrarthrum и S. piurae — могут быть немедленно использованы в программах селекции картофеля без критического первого шага исследования, необходимого для преодоления хромосомной несовместимости, типичной для дикого картофеля, сообщили исследователи в выпуске за декабрь 2020 г. журнала «Болезни растений».
Служба сельскохозяйственных исследований — это главное внутреннее научно-исследовательское агентство Министерства сельского хозяйства США. Ежедневно ARS фокусируется на решениях сельскохозяйственных проблем, с которыми сталкивается Америка.Каждый доллар, вложенный в сельскохозяйственные исследования, приносит 17 долларов экономического эффекта.
деталей
Класс:
Oomycota
Заказ:
Peronosporales
Семья:
Pythiaceae
Фотограф: Г.Д. Франк.
Принадлежность: Государственный университет Колорадо
Источник: www.bugwood.org
Авторское право: CC BY 3.0
Фотограф: Марко Тинес
Источник: http: //www.ncbi.nlm.nih.правительство
Авторское право: Public Domain
Описание
Фитофтороз, Phytophthora infestans, — это эукариотическая водяная плесень (Oomycete), которая вызвала картофельный голод в Ирландии в 1845 году и в Хайленде в 1846 году. В отличие от 60 других видов Phytophthora (60 ), вызывающих заболевания, вызываемые почвенной гнилью, фитофтороз поражает листву, стебли, клубни картофеля и плоды томатов. P. infestans поражает листву растений. Фитофтороз может возникать как на листьях, так и на стеблях и обычно возникает после периодов влажной погоды.Черные язвы появляются через 3-7 дней после заражения листьев. Во влажном состоянии на краю поражения, особенно на нижней стороне листа, образуется беловатый нарост (споры возбудителя). Поражения становятся коричневыми, когда высыхают, и белые споры не видны. Симптомы на листьях и стеблях томатов аналогичны симптомам картофеля.
Зараженный картофель имеет неглубокие коричневатые или пурпурные поражения на поверхности клубня. На плодах томата Phytophthora infestans вызывает плотное, темное, жирное поражение, на котором во влажных условиях появляются структуры, продуцирующие споры.Для картофеля эти поражения могут служить путями для проникновения других болезней клубней, таких как бактериальная мягкая гниль, поэтому симптомы фитофтороза иногда могут быть скрыты симптомами других заболеваний.
Растение-хозяин : В основном картофель ( Solanum spp.), Но также томаты и другие представители семейства пасленовых; такие как петунии, пасленовые и томатиллы.
Экологическая угроза
Поскольку оомицет, вызывающий фитофтороз, производит так много спор, и они могут перемещаться по воздуху на большие расстояния; Очень важно, чтобы каждый, кто выращивает картофель или помидоры, мог определить фитофтороз и знать, как с ним бороться, чтобы не стать источником спор, поражающих картофель и помидоры в соседних садах и коммерческих полях.Эта болезнь способна очень быстро уничтожить все коммерческие поля картофеля и томатов во влажных условиях; а фермеры, выращивающие картофель или помидоры, подвергаются серьезному риску потерять весь свой доход от выращивания этих культур.
Биология
Вспышки в начале 1990-х были вызваны 3 генотипами Phytophthora infestans (US-6 в 1992 году; US-7 в 1993–1994 годах и US-8 в 1998 году). С тех пор было еще почти 20 различных генотипов. Каждая версия уникальна по своей восприимчивости к химическим воздействиям (например, мефеноксаму) или заражению как картофеля, так и помидоров, если это тип спаривания A1 (преобладающий) или A2 (редкий), если происходит половое размножение, температурные ограничения и быстрое против длительные латентные периоды.Наличие второго типа спаривания (А2) наряду с первым типом спаривания обеспечивает половое размножение и более быструю рекомбинацию генов, что приводит к более быстрому развитию устойчивости к пестицидам. Чтобы лечить заражение, необходимо знать, с каким генотипом и разновидностью штамма вы имеете дело.
Общий жизненный цикл P. infestans начинается с того, что спорангии (на фото справа) переносятся в область преобладающими ветрами и прорастают (при температуре от 44 до 55 ° F), когда на листьях присутствует свободная вода, и образуются от 8 до 12. подвижных зооспор на спорангий.Зооспоры свободно плавают в водных пленках, прикрепляются к поверхности листа (энцисты) и заражают растение. Инцистированные зооспоры заражают листья, проникая на поверхность листа с помощью зародышевой трубки либо через устьица, либо путем прямого проникновения. Когда температура немного выше (55-70 o F), спорангии прорастают через единственную зародышевую трубку. В условиях высокой влажности может происходить бесполый цикл возбудителя, который занимает от 5 до 7 дней.
Клубни могут инфицироваться, если спорангии, образующиеся на листве, смываются водой в почву.Затем переносимые водой споры, по-видимому, попадают по стеблям и столонам в почву, где достигают клубней и вызывают инфекцию. P. infestans может выжить только в живой ткани картофеля. Обычно он выживает из года в год в инфицированных клубнях, помещенных в хранилище, в кучах отбракованного картофеля или в инфицированных клубнях, пропущенных во время сбора урожая, которые остаются незамороженными в течение зимы (картофель-добровольец). Весной патоген может передаваться от инфицированных клубней в кучах отбраковки или от добровольцев к листьям картофеля воздушно-капельным путем, и цикл продолжается.
История
Спустя сто пятьдесят лет после первого появления фитофтороза в Соединенных Штатах и Европе, фитофтороз вновь проявился в начале 1990-х годов. Возможно, он был получен от импортированных из Мексики томатов, которые были предсимптомными, но однажды стали симптоматичными в Соединенных Штатах. Даже если эти помидоры были бы выброшены, P. infestans обильно размножается на инфицированных помидорах. Распространение с воздуха может позволить P. infestans перейти от инфицированных с этих томатов на картофельные или томатные поля.
Родное происхождение
Местное происхождение : Считалось, что он родился в Центральной Америке, особенно в Мексике
Текущее местонахождение
Среда обитания в США : везде, где можно выращивать картофель и помидоры; и предпочтительно там, где есть также влажная погода с умеренными температурами (60-80 o F), высокой влажностью и частыми дождями.
Настоящее время в США : CT, FL, KY, LA, MA, MD, ME, NH, NJ, NY, OH, OR, RI, PA, TN, VA, VT, WI, WV
Менеджмент
Лучший метод предотвращения вспышки P.infestans тщательно управляет сельскохозяйственными операциями и ищет признаки, как только появляется зеленая ткань. Поиск знаков следует усилить на участках с наибольшей влажностью почвы. Во-первых, важно устранить источники инокулята. Первоначальными источниками инокулята могут быть зараженный картофель в кучах выбраковки, зараженные растения картофеля-добровольца, пережившие зиму, и инфицированные семенные клубни. Важно поддерживать чистоту производственного процесса, уничтожая весь отбракованный и добровольный картофель.Выбракованные сваи должны быть как можно меньше, потому что сваи весом около 500 центнеров не промерзают; и P. infestans могут пережить зиму. Также очень важно убедиться, что вы сажаете только сертифицированные семена. Использование семян, сохраненных от местных культур, может увеличить риск фитофтороза. Источники семян следует выбирать тщательно, чтобы избежать заражения семян фитофторозом, особенно новыми штаммами возбудителя.
Ни один из сортов картофеля не невосприимчив к фитофторозу, только устойчивый.Посадка устойчивых сортов замедлит (но не предотвратит) развитие фитофтороза. В настоящее время наиболее устойчивыми сортами являются «Защитник» и «Эльба». К сортам картофеля с умеренной устойчивостью относятся: Кеннебек, Себаго и Аллегани.
Некоторые химические вещества помогают бороться с фитофторозом; но, как упоминалось ранее, некоторые штаммы P. infestans более устойчивы, чем другие. В некоторых штатах, таких как Мичиган, и Headline, и Amistar обеспечили очень эффективную борьбу с фитофторозом, но эти продукты следует использовать в строгом соответствии со стратегиями развития устойчивости, т.е.е. всегда смешивайте с защитным фунгицидом (например, EBDC или продуктами на основе хлороталонила) и никогда не применяйте последовательные обработки одного и того же продукта. Проконсультируйтесь с вашим местным консультантом по поводу соответствующих ставок и дополнительных комбинаций.
Существует компьютерное программное обеспечение, которое может помочь спрогнозировать вероятность заражения фитофторозом и благоприятные погодные условия для P. Infestans . Blightcast — одна из программ, которые доступны для отслеживания погодных условий и помогают предсказать или спрогнозировать, когда может возникнуть болезнь.Программы прогнозирования болезней предсказывают, когда условия окружающей среды наиболее благоприятны для болезни, и рекомендуют, когда следует применять фунгициды. Если вы не знаете, что информация прогноза подходит для ваших полей, прогнозы следует использовать только как общее указание на то, насколько благоприятна погода для фитофтороза.
Список литературы
Список литературы
Андерсон, П.К., Каннингем, А.А., Патель, Н.Г., Моралес, Ф.Дж., Эпштейн, П. Р. и Дашак, П. 2004. Новые инфекционные болезни растений: загрязнение патогенами, изменение климата и агротехнологические факторы. Тенденции в экологии и эволюции, 19 (10): 535-544.
Фрай, W.E. и С. Гудвин. 1997. Повторное появление фитофтороза картофеля и томатов в США. Болезни растений 81 (12): 1349-1357.
Гудвин, С. Б., Спилман, Л. Дж., Матушак, Дж. М., Бержерон, С. Н. и Фрай, В. Е. 1992. Клональное разнообразие и генетическая дифференциация Phytophthora infestans популяций в северной и центральной Мексике.Фитопатология 82: 955-961.
Ламберт Д. Х. и Карриер А. И. 1997. Различия в развитии гнили клубней для североамериканских клонов Phytophthora infestans . Am. Картофель J. 74: 39-43.
Источники Интернета
http://www.nysipm.cornell.edu/publications/blight/
http://usablight.org/map
http://www.metapathogen.com/phytophthora/#chitika_close_button
http: // www.potatodiseases.org/lateblight.html
http://www.invasivespeciesinfo.gov/microbes/lateblight.shtml
Фитофтороз картофеля и томатов
Фитофтороз является одним из самых серьезных заболеваний картофеля и томатов во всем мире, приводящим к значительным ежегодным потерям урожая и качества. В целом в Альберте фитофтороз встречается нечасто, но может иметь разрушительные последствия в те годы, когда он достигает уровня эпидемии.
Каковы исторические и текущие / потенциальные последствия фитофтороза?
Фитофтороз был в значительной степени ответственен за ирландский картофельный голод в 1840-х годах, который привел к гибели и массовой эмиграции миллионов людей.Каждый год фитофтороз снижает урожайность картофеля и помидоров на поле и может стать причиной больших потерь клубней картофеля при хранении.
Фитофтороз встречается в большинстве регионов Канады и Северной Америки, где выращивают картофель и овощи. Крупные вспышки иногда случаются в Альберте (последняя была в 1993 г.). С 2010 года поступали сообщения о фитофторозе картофеля и томатов в различных регионах Альберты, при этом были повреждены или уничтожены многие городские или жилые насаждения и огородные культуры, а также пострадали коммерческие посевы картофеля.Коммерческая картофельная промышленность потратила много сил и средств на применение защитных фунгицидов и поддержание качества семян, что привело к некоторым потерям.
Какие сельскохозяйственные отрасли в Альберте могут быть затронуты вспышками фитофтороза?
Промышленные предприятия по производству семенного, перерабатывающего и столового картофеля подвержены риску фитофтороза. Картофельная промышленность Альберты занимает около 50 000 акров, большая часть урожая выращивается для обработки или семян.Другие отрасли, которые также могут быть затронуты, включают свежие огородные овощи (картофель и помидоры), тепличные овощи (помидоры, перец, баклажаны), а также производство декоративных растений и садовых центров (декоративные растения и пересадка овощей). Под угрозой также оказываются жилые (сельские и городские) посадки картофеля и помидоров.
Какие культуры-хозяева для фитофтороза?
Основными хозяевами фитофтороза являются картофель и томаты; однако могут быть поражены и другие родственные растения.К ним относятся баклажаны, перец, петунии и пасленовые сорняки, такие как пасленовые и дикие помидоры. Хотя некоторые разновидности этих культур менее восприимчивы, чем другие, НИ ОДИН не защищен.
Что вызывает фитофтороз?
Грибковый патоген Phytophthora infestans является причиной фитофтороза. Ученые помещают этот гриб в группу под названием «оомицеты», которые представляют собой водяную плесень. Патоген очень агрессивен и потенциально может заразить все части растения, вызывая быстрое отмирание и смерть.Организм фитофтороза производит два основных типа спор, называемых спорангиями и зооспорами. Спорангии (единственное число = спорангий) образуются в основном на зараженной листве и разносятся ветром и водой. Множественные зооспоры могут образовываться в одном спорангии и могут плавать в пленках воды на растении и в почве, заражая части растений.
Зимующие половые споры, называемые ооспорами, также могут быть продуцированы патогеном, если на территории присутствуют оба спаривающихся типа патогена; однако в настоящее время в Западной Канаде встречается только один тип спаривания.Следовательно, в Альберте не известно, что половые споры образуются, и зимовать можно только на живых тканях хозяина.
В ходе мониторинга и тестирования было обнаружено, что ряд различных штаммов возбудителя фитофтороза встречается на любой территории в конкретный год. Каждый штамм различается по вирулентности на растениях-хозяевах картофеля или томата. Некоторые сорта более агрессивны к помидорам, другие предпочитают картофель. Это может повлиять на типы возникающих вспышек. В последние годы было обнаружено, что в Альберте обычно есть два разных штамма Phytophthora , что привело к более серьезному поражению некоторых хозяев (например, посевов томатов).
Как распространяется это заболевание?
В Западной Канаде фитофтороз не приводит к перезимованию спор и требует живых тканей, чтобы выжить до следующего сезона. Патоген выживает между посевами на зараженном семенном картофеле, отбракованными картофельными кучами и картофелем-добровольцем, которые представляют собой ткани ЖИВОГО хозяина.
В сезон болезнь распространяется через споры, образующиеся на зараженном растительном материале, например, на пересадках, картофеле-добровольце, сорняках и пораженных растительных остатках.Спорангии могут перемещаться между растениями в пределах полей из-за дождя или брызг воды или на небольшие расстояния в почве, например, зооспоры смывают листву и перемещаются через почву в пленках воды, заражая клубни. Спорангии также могут перемещаться на большие расстояния, возможно, до 100 км, по ветру или во время штормов. Заболевание также может быть занесено в почву при перемещении оборудования между полями в течение короткого промежутка времени.
Каковы симптомы фитофтороза?
Признаки внекорневых заболеваний
- На листьях образуются темные, пропитанные водой поражения (пятна), часто переходящие от кончиков / краев листьев к центру
- Поражения не локализуются жилками листа
- Это отличается от некоторых других распространенных болезней, например, раннего упадка, Alternaria solani
- Молодые очаги поражения могут иметь желтый край или край
- В течение нескольких дней поражения обычно становятся коричневыми или черными и могут стать ломкими, если высохнут.
- Небольшое образование спор (спорангии), которое выглядит как пушистый белый нарост по краям поражений, может возникать по краям свежих поражений на нижней стороне пораженных листьев
- Болезнь быстро развивается, и значительная часть листвы может снова отмирать
- Поражения могут также развиваться на стеблях, плодах томатов или клубнях картофеля
Фото: Dr.Рон Ховард
Фото д-ра Халила Аль-Муграби — Правительство NB
Темные, пропитанные водой поражения на концах / краях листьев
Фото доктора Рона Ховарда
Поражения могут иметь желтый край и не ограничиваться жилками листа
Фото д-ра Халила Аль-Муграби — Правительство NB
Споры могут образовываться по краям поражений на нижней стороне листьев
Фото Dr.Рон Ховард
Болезнь может развиваться быстро; Листья, стебли и целые растения могут быть инфицированы, и листва может быстро отмирать
Фото доктора Рона Ховарда
Болезнь может быстро распространяться на полях при подходящих условиях окружающей среды
Симптомы плодов / клубней
- Плоды помидоров и клубни картофеля могут иметь красновато-коричневые, неровные, впалые поражения, часто вокруг глаз
- Гниль может проникать через кожуру плодов и клубней (т.е. 1-2 см), вызывая гниение и изменение цвета внутренних тканей
- Гниль от красноватого до коричнево-коричневого цвета
- Гниль бывает сухой и зернистой, если в пораженные ткани не попадают бактерии мягкой гнили
- Граница между больными и здоровыми тканями иногда четко не определяется
Поражения плодов / клубней красновато-коричневые, вдавленные участки
Гниль может проникать через кожуру плодов и клубней (1-2 см), вызывая гниение и изменение цвета внутренних тканей
Фото: Dr.Рон Ховард
Где можно получить помощь при диагностике фитофтороза?
Предлагается направлять цифровые изображения и / или образцы из отрасли квалифицированным отраслевым экспертам, в том числе государственным специалистам, агрологам-консультантам, сертифицированным консультантам по урожаю или другим отраслевым консультантам. Домашние садоводы могут проконсультироваться у садоводов или садовых центров, теплиц и т. Д. За помощью. Обратитесь к правительству за помощью в процессе диагностики и обработки подозрительных образцов, в том числе, если возможно, куда они могут быть отправлены.
Какие условия способствуют развитию болезни?
Возбудитель фитофтороза быстро развивается при умеренных температурах (12-24 ° C) и влажных / влажных условиях, включая дождь или росу. Эти условия могут быть искусственно созданы с помощью дождевания или дождевания. Образование спор будет происходить в аналогичных условиях и в идеальных условиях может произойти всего за 10 часов. Для образования и распространения спор не требуется внекорневой материал, т. Е. Спорангии могут образовываться на целых клубнях или срезанных семенах и рассыпаться во время обработки.
Фитофтороз может передаваться от зараженных к здоровым фруктам и клубням при хранении (картофель и томат), а также через куча отбраковки, неразложившиеся компостные куча и куски семенного картофеля.
Какие самые лучшие шаги я могу предпринять, чтобы предотвратить распространение фитофтороза?
Помните о характерных симптомах болезни и тщательно удалите все инфицированные или подозрительные материалы (до и после сезона). Не сохраняйте зараженные семена и не покупайте больные трансплантаты.По возможности удалите зараженный растительный материал сразу после его обнаружения, прежде чем возбудитель фитофтороза сможет распространиться на другие районы. Убедитесь, что зараженный материал не может продолжать распространять споры, закопав его, укрыв или упаковав в мешки.
В некоторых секторах (приусадебный участок и огороды) может оказаться полезным выращивание устойчивых к фитофторозу сортов томатов для снижения риска развития болезней. К сортам, устойчивым к позднему фитофторозу, относятся Mountain Mist, Defiant PHR, Mountain Merit и Iron Lady.
Операторы тепличных и садовых центров могут рассмотреть возможность выращивания и предложения пересадке овощей перечисленных устойчивых сортов своим клиентам, чтобы помочь в сокращении заболеваемости в своем регионе.
Какое влияние могут иметь зараженные семена картофеля на развитие фитофтороза?
Зараженные клубни представляют значительный риск заражения растений фитофторозом. Эксперты сходятся во мнении, что не бывает такого понятия, как «немножко фитофтороза». Зараженные клубни в партиях семян или в кучах отбраковки могут прорасти, а побеги инфицированы, таким образом, занося болезнь в область либо напрямую, либо через споры, разносимые по полям ветром или водой.
Уровень заражения семенного картофеля 1% потенциально может означать от 100 до 150 инфицированных клубней на акр, при этом появляется некоторое количество инфицированных растений, которые заразят остальную часть поля. Уровень заражения 5% составляет от 550 до 725 инфицированных клубней на акр. Один зараженный семенной картофель потенциально может заразить окружающие растения на площади 10 футов в диаметре.
Что можно сделать, чтобы свести к минимуму воздействие зараженных семян?
Начните с чистого, здорового семенного картофеля, внимательно осмотрите семена и немедленно утилизируйте зараженный материал.Часто дезинфицируйте оборудование для обработки семян (срезание и т. Д.), Особенно между партиями семян.
Для коммерческих производителей: применяйте соответствующие средства обработки семян (на основе манкоцеба) к семенным частям (целым и разрезанным). Обработайте срезанные семена сразу после срезания. Обрезание семян способствует споруляции (образование спор) и открывает клубни для заражения. Обработка семян не сделает зараженные семена здоровыми, но защитит другие части семян от инфекции. Не храните срезанные семена в течение длительного времени перед посадкой; скорее рекомендуется срезать и сажать.
Каковы некоторые общие стратегии борьбы с фитофторозом?
- Избегайте заражения растений фитофторозом
- Здоровые растения, свободный от болезней материал (семенной картофель, пересадка томатов)
- Не спасать семенной картофель с зараженных насаждений
- Выращивание устойчивых сортов томатов
- Не оставляйте больные растительные материалы на открытом воздухе.
- Захоронить, заморозить или компостировать зараженный растительный материал
- Поместите инфицированный материал в пластиковый пакет, пока он не будет заморожен
- Накройте компостные кучи брезентом до тех пор, пока куча не замерзнет или пока растительный материал не разложится хорошо
- Борьба с сорняками пасленовых и картофелем-добровольцем
- Помните о потенциальных проблемных участках насаждениях, например, низких участках сада или поля или участках с ограниченным воздушным потоком
- Хорошо окучите картофель, чтобы создать дополнительную почвенную преграду для спор, попадающих на клубни
- Избегайте чрезмерного внесения удобрений, так как это приводит к получению более тяжелых ботинок и плохой циркуляции воздуха
- Капельный полив или полив по бороздам может предотвратить развитие благоприятных условий влажности, которые приводят к образованию спор и распространению болезней
- Дождевание похоже на дождь, который увлажняет листья и может вызвать споруляцию
- Время полива так, чтобы уменьшить количество времени, в течение которого листья остаются влажными, например, избегать раннего утра или вечера — продлевает период росы
- Обеспечьте хорошую циркуляцию воздуха вокруг растений
- Космические растения надлежащим образом
- По возможности ориентируйте ряды параллельно направлению преобладающих ветров
- Ранний, регулярный и тщательный поиск инфекций
- Уничтожение или удаление ботвы останавливает рост патогенов и, следовательно, может снизить риск заражения клубней
Каковы некоторые из конкретных стратегий управления для коммерческих производителей?
- Реализовать стратегии управления, перечисленные выше, где это возможно
- Разведывать поля рано и регулярно
- Следите за погодными условиями и обращайтесь к системам / отчетам прогнозирования заболеваний
- Примените средство для обработки семян на основе манкоцеба, если есть опасения по поводу фитофтороза, переносимого семенами
- Не оставляйте на открытом воздухе груды отбраковки картофеля или пораженные растения.
- Захоронить или заморозить зараженный растительный материал
- Очищенный картофель можно скармливать скоту, закапывать в землю или компостировать
- Накройте кучу отбраковки или компоста брезентом до тех пор, пока куча не замерзнет или пока растительный материал не разложится хорошо
- Поощрять более быстрое разложение пораженного материала путем измельчения и включения или захоронения
- Применяйте защитные средства фунгицидов для листьев (чередующиеся химические вещества) через регулярные промежутки времени, когда условия способствуют развитию болезни
- Будьте готовы начать опрыскивание как можно раньше, если есть условия для развития болезни
- Если фитофтороз обнаружен на поле или на посадке, убейте верхушку (нанесите десикант или физически удалите ботву) пораженные растения и создайте буферную зону, по крайней мере, в два раза превышающую размер пораженного участка
- Точечная обработка инфицированных участков практична там, где болезнь обнаруживается на ранней стадии; однако широко распространенная инфекция может потребовать уничтожения больших участков или целых полей, чтобы остановить развитие болезни и спасти урожай
- После верхнего убоя обработать все поле соответствующими защитными фунгицидами, включая верхнюю убитую зону
- Смешивание в резервуаре фунгицида с защитным действием и верхнего убийцы, где это возможно, может сэкономить время и снизить затраты на нанесение.
- В конце сезона подождите 2–3 недели между умерщвлением верхушки / отмиранием растения и сбором клубней, чтобы дать растительному материалу отмереть и снизить риск переноса спор на клубни во время сбора урожая
Плакат о позднем фитофторозе 1
Плакат о позднем фитофторозе 2
Плакат о позднем фитофторозе 3
Домашний газон и сад: поздний фитофтороз томатов и картофеля
Домашние садоводы должны знать о позднем фитофторозе, вызванном Phytophthora infestans — очень разрушительным и очень заразным заболеванием, которое убивает растения томатов и картофеля в садах и на коммерческих фермах по всей стране. U.S. Поскольку болезнь может очень легко перемещаться из одного сада или поля в другой, очень важно, чтобы и домашние садоводы, и фермеры знали, как действует болезнь, на что обращать внимание и как с ней бороться. При правильных условиях споры легко разносятся ветровыми течениями на многие мили и заражают восприимчивые растения даже в самых отдаленных уголках нашего региона. Все растения томата и картофеля, выращиваемые на приусадебных участках и на коммерческих полях, подвержены фитофторозу!
Фитофтороз — это то же заболевание, которое вызвало ирландский картофельный голод в 1840-х годах.Он существует в США более века, но в последние годы стал вызывать большую озабоченность на Северо-Востоке. В 2009 году широкомасштабная вспышка затронула как приусадебные участки, так и коммерческие фермы, что привело к значительным потерям урожая как томатов, так и картофеля. С тех пор он продолжал появляться по всей Новой Англии на сельскохозяйственных полях и приусадебных участках, но, к счастью, не вызвал таких же убытков. Чтобы держать болезнь под контролем, необходимо внимание и бдительность как со стороны садоводов, так и фермеров.
Симптомы
Наиболее частыми ранними симптомами при пересадке томатов являются коричневые поражения на стеблях и рост белых грибков во влажных условиях.
Симптомы на растениях в саду проявляются в виде больших (размером не менее никеля) оливково-зеленых или коричневых пятен на листьях со слегка нечеткими белыми грибками на нижней стороне при влажных или влажных условиях. Иногда граница поражения желтая или пропитанная водой. Поражения листьев начинаются с крошечных коричневых пятен неправильной формы.На верхних стеблях также появляются пятна от коричневого до черноватого цвета. На плодах томата появляются плотные коричневые пятна. Фитофтороз иногда можно спутать с фитофторозом и пятнистостью листьев септориозом, двумя распространенными заболеваниями, встречающимися на приусадебных участках. Если поражение имеет желтую кайму и возникает на нижней части растения, это, вероятно, связано с заражением или фитофторозом, или пятнистостью листьев септориозом.
Фотогалерея того, что искать: http://ag.umass.edu/home-lawn-garden/fact-sheets/late-blight-on-tomatoes…
Жизненный цикл
P. infestans на северо-востоке выживает в инфицированных клубнях картофеля, которые были сохранены с прошлого года для посевного материала, или которые были выброшены в компостные кучи или кучи отбраковки, или оставлены в саду в почве, которая не замерзала зимой. Возбудитель не перезимовывает на растениях томатов или в растительных остатках и не передается через семена. В более южных и тропических регионах патоген производит долгоживущие половые споры (ооспоры), которые выживают в инфицированных растительных остатках и почве.К счастью, в настоящее время нет никаких доказательств того, что это происходит в Новой Англии.
Где бы ни были обнаружены зараженные клубни или растения, при благоприятных условиях на растениях разовьются поражения фитофторозом, высвобождающим спорангии. Спорангии распространяются на большие расстояния ветром и ветровыми дождями. В пасмурную, серую погоду облака защищают разлетающиеся ветром споры от убивающего действия ультрафиолетового излучения. Споры попадают на ткань листа и проникают в лист, вызывая быстрое разрушение и гибель растения при благоприятных условиях. Phytophthora infestans благоприятствует прохладной (ниже 77 F) влажной погоде.Жаркие засушливые периоды не способствуют развитию фитофтороза. Исключение составляют случаи, когда насаждения поливаются над землей или расположены там, где регулярно возникает туман, например, возле рек или в прибрежных районах.
Возбудитель фитофтороза недавно претерпел изменения во Флориде, что повлияло на распространение болезни там и в других восточных штатах. Больные растения томатов на юге Флориды пережили холодные зимние периоды, что позволило патогену выжить. Фитофтороз также проявляется весной вплоть до мая, что указывает на повышенную устойчивость к более теплым температурам.Это означает, что потенциальный источник инокулята сохраняется до весны, когда урожай выращивается к северу от Флориды, и, таким образом, существует «зеленый мост» для распространения патогена, пока он не достигнет северо-востока.
Профилактика и лечение
- Не сажать клубни предыдущего года; купите семенной картофель в надежном источнике и осмотрите его перед посадкой.
- Уничтожьте картофель-добровольцев, проросший из перезимовавших клубней. Организму фитофтороза для выживания необходима живая ткань; он не выживает в почве и не переносится семенами томатов.Наиболее вероятным источником фитофтороза являются инфицированные клубни картофеля, которые пережили зиму, клубни, которые были спасены, или клубни, которые остались в почве размороженными и выросли из перезимовавших клубней в качестве добровольных растений картофеля. Эти растения следует выкопать, поместить в полиэтиленовый пакет и выбросить в мусор или полностью закопать достаточно глубоко, чтобы растения разложились и не взошли.
- Доступны отобранные устойчивые сорта. «Mountain Magic», «Legend» и «Plum Regal» обладают отличной устойчивостью к фитофторозу.Red Pearl и Matt’s Wild Cherry — это мелкоплодные помидоры с хорошей устойчивостью. Некоторые сорта томатов семейной реликвии обладают хорошей переносимостью фитофтороза. Некоторые сорта также обладают устойчивостью к фитофторозу ( Alternaria solani, A. Tomatophila ), и их следует учитывать. В Корнельском и других университетах ведется разработка сортов с тройной устойчивостью (LB, EB, Septoria , пятнистость листьев).
- Начните с пересадки здоровых томатов. Выращивание собственных саженцев томатов из семян или покупка саженцев, которые начали выращивать здесь, на северо-востоке, из семян, обеспечит здоровое начало сезона для вас и местных ферм.
- Бороться с пасленовыми сорняками, такими как паслен, дурман, белена золотистая и другие.
- Сажайте картофель и помидоры в местах с хорошей циркуляцией воздуха; ставьте помидоры на палку для более быстрого отмирания листьев после выпадения росы или дождя.
Если симптомы уже проявляются на растениях, удалите растения, поместите в полиэтиленовый пакет, закройте и выбросьте в мусорную корзину или полностью закопайте растения достаточно глубоко под землей, чтобы растения разложились и не взошли снова. Не складывайте растения в компостную кучу, так как из мусора все равно будут распространяться споры.
Фунгициды
Чтобы справиться с фитофторозом фунгицидами, проводите лечение до появления симптомов. Используйте продукт, содержащий хлорталонил, указанный на этикетке в качестве активного ингредиента. Домашним садоводам доступны готовые составы. Фунгициды эффективны только в том случае, если они используются до появления болезни, и их следует применять повторно каждые 5-7 дней, если влажная погода сохраняется. Хлороталонил — это защитный фунгицид, не вызывающий системных изменений в растении, поэтому необходимо тщательное покрытие.
Фунгициды на основе меди — еще один вариант для домашних садоводов, который достаточно эффективен против некоторых штаммов фитофтороза. Для органических садоводов единственно допустимым вариантом являются фунгициды на основе меди. Как и в случае со всеми пестицидами, внимательно прочтите этикетку и следуйте инструкциям по индивидуальной защитной одежде, нормативам и интервалу между опрыскиванием и сбором урожая. Эти фунгициды также уменьшат потери от фитофтороза и пятнистости листьев септориоза, которые широко распространены в садах и на фермах ежегодно с июля до заморозков.Если фитофтороз широко распространен в регионе и погодные условия благоприятны для болезни, одни только фунгициды не могут гарантировать здоровый урожай.
Часто задаваемые вопросы о фитофторозе помидоров
Я думаю, что в прошлом году у меня на помидорах был фитофтороз, перезимует ли он в моем саду?
Помидоры не переносят фитофтороз зимой, потому что замораживание убивает все растение.
Будут ли семена помидоров, оставленных в саду с прошлого года, переносить болезнь?
Семена томатов, даже из плодов, пораженных фитофторозом, не будут переносить патоген, поэтому не нужно беспокоиться о томатах, оставленных в саду или в компостной куче.
А как насчет моих томатных долей, перенесутся ли они на мои томатные колья?
Нет, фитофтороз не выживает на томатных кольях и садках. Однако на томатных кольях могут выжить и другие болезни. Удалите грязь и мусор с кольев для помидоров и продезинфицируйте их, очистив их 1 частью отбеливателя + 9 частями воды. Замочите колья на 30 минут. Дайте высохнуть перед использованием.
Я выращивал картошку в прошлом году. Может ли фитофтороз перезимовать на картофеле, который я оставил в саду?
Замерзший или полностью разложившийся картофель не переносит патогенный микроорганизм в течение зимы.Однако самая большая угроза перезимованию в Новой Англии — картофель, который может появиться в этом году. Весной осмотрите прошлогодний картофельный участок и все компостные или отбракованные кучи для растений-добровольцев. Если вы найдете растения картофеля, вытащите их и выбросьте в мусорную корзину или уничтожьте. Если клубни были инфицированы и выжили, то возбудитель фитофтороза мог расти вверх от клубня, заражая стебель и производя споры при благоприятных погодных условиях. Эти споры могут затем распространиться на другие растения томата и картофеля.
Что еще я могу сделать для предотвращения фитофтороза в этом году?
Да, фитофтороз не передается через семена (однако у картофеля он передается через клубни), поэтому растения томатов, выращенные из семян на местном уровне (на северо-востоке), не будут заражены. Выращивание собственных саженцев томатов из семян или покупка саженцев, которые начали выращивать здесь, на северо-востоке, из семян, обеспечит здоровое начало сезона для вас и местных ферм. Существуют устойчивые к болезням или толерантные сорта томатов, однако в этом году семена ограничены, поэтому вы вряд ли найдете их в своем садовом центре.«Mountain Magic», «Plum Regal» и «Legend» — это три разновидности, обладающие устойчивостью или устойчивостью к фитофторозу. Обратите внимание, что сорт «Легенда» — единственный устойчивый к фитофторозу сорт, семена которого доступны в этом году.
Кроме того, приобретите сертифицированный, свободный от болезней семенной картофель в надежном источнике. Изучите свой семенной картофель и сажайте только твердые клубни без пятен.
У меня есть пятна на томатах, которые появляются в июне или июле каждого года. Может ли это быть фитофтороз?
Наверное, нет.Помимо фитофтороза, каждый год томаты заражаются фитофторозом и пятнистостью листьев септориоза, которые очень похожи на симптомы фитофтороза. Если у вас ежегодно возникают проблемы с фитофторозом, рассмотрите возможность выращивания сортов томатов, устойчивых или толерантных к фитофторозу, таких как сорта «Mountain Fresh», «Mountain Supreme», «Plum Dandy» и другие.